中国天牛,1856(鞘翅目:天牛科)线粒体全基因组及其系统发育分析。

IF 0.7 4区 生物学 Q4 GENETICS & HEREDITY
Mitochondrial DNA. Part B, Resources Pub Date : 2025-07-23 eCollection Date: 2025-01-01 DOI:10.1080/23802359.2025.2532186
Sikai Ke, Zibo Li, Ruiheng Lin, Yunfeng Zheng, Yinghua Tong
{"title":"中国天牛,1856(鞘翅目:天牛科)线粒体全基因组及其系统发育分析。","authors":"Sikai Ke, Zibo Li, Ruiheng Lin, Yunfeng Zheng, Yinghua Tong","doi":"10.1080/23802359.2025.2532186","DOIUrl":null,"url":null,"abstract":"<p><p><i>Uraecha angusta</i> Pascoe, 1856 (Coleoptera: Cerambycidae) is one of the primary stem borers affecting economically significant forests. However, research on <i>U. angusta</i> remains limited. In this study, we successfully sequenced the complete mitochondrial genome of <i>U. angusta.</i> The analysis revealed that the mitochondrial genome spans 15,678 bp with a GC content of 36.7%. It comprises13 protein-coding genes (CDS), 22 transfer RNA genes (tRNA), 2 ribosomal RNA genes (rRNA), and an A + T-rich region. Phylogenetic analysis revealed that <i>U. angusta</i> is closely related to <i>Annamanum lunulatum</i>. This study offers valuable genetic insights into the evolutionary dynamics within the Cerambycidae family.</p>","PeriodicalId":18647,"journal":{"name":"Mitochondrial DNA. Part B, Resources","volume":"10 8","pages":"768-772"},"PeriodicalIF":0.7000,"publicationDate":"2025-07-23","publicationTypes":"Journal Article","fieldsOfStudy":null,"isOpenAccess":false,"openAccessPdf":"https://www.ncbi.nlm.nih.gov/pmc/articles/PMC12291189/pdf/","citationCount":"0","resultStr":"{\"title\":\"The complete mitochondrial genome of <i>Uraecha angusta</i> Pascoe, 1856 (Coleoptera: Cerambycidae) and its phylogenetic analyses.\",\"authors\":\"Sikai Ke, Zibo Li, Ruiheng Lin, Yunfeng Zheng, Yinghua Tong\",\"doi\":\"10.1080/23802359.2025.2532186\",\"DOIUrl\":null,\"url\":null,\"abstract\":\"<p><p><i>Uraecha angusta</i> Pascoe, 1856 (Coleoptera: Cerambycidae) is one of the primary stem borers affecting economically significant forests. However, research on <i>U. angusta</i> remains limited. In this study, we successfully sequenced the complete mitochondrial genome of <i>U. angusta.</i> The analysis revealed that the mitochondrial genome spans 15,678 bp with a GC content of 36.7%. It comprises13 protein-coding genes (CDS), 22 transfer RNA genes (tRNA), 2 ribosomal RNA genes (rRNA), and an A + T-rich region. Phylogenetic analysis revealed that <i>U. angusta</i> is closely related to <i>Annamanum lunulatum</i>. This study offers valuable genetic insights into the evolutionary dynamics within the Cerambycidae family.</p>\",\"PeriodicalId\":18647,\"journal\":{\"name\":\"Mitochondrial DNA. Part B, Resources\",\"volume\":\"10 8\",\"pages\":\"768-772\"},\"PeriodicalIF\":0.7000,\"publicationDate\":\"2025-07-23\",\"publicationTypes\":\"Journal Article\",\"fieldsOfStudy\":null,\"isOpenAccess\":false,\"openAccessPdf\":\"https://www.ncbi.nlm.nih.gov/pmc/articles/PMC12291189/pdf/\",\"citationCount\":\"0\",\"resultStr\":null,\"platform\":\"Semanticscholar\",\"paperid\":null,\"PeriodicalName\":\"Mitochondrial DNA. Part B, Resources\",\"FirstCategoryId\":\"99\",\"ListUrlMain\":\"https://doi.org/10.1080/23802359.2025.2532186\",\"RegionNum\":4,\"RegionCategory\":\"生物学\",\"ArticlePicture\":[],\"TitleCN\":null,\"AbstractTextCN\":null,\"PMCID\":null,\"EPubDate\":\"2025/1/1 0:00:00\",\"PubModel\":\"eCollection\",\"JCR\":\"Q4\",\"JCRName\":\"GENETICS & HEREDITY\",\"Score\":null,\"Total\":0}","platform":"Semanticscholar","paperid":null,"PeriodicalName":"Mitochondrial DNA. Part B, Resources","FirstCategoryId":"99","ListUrlMain":"https://doi.org/10.1080/23802359.2025.2532186","RegionNum":4,"RegionCategory":"生物学","ArticlePicture":[],"TitleCN":null,"AbstractTextCN":null,"PMCID":null,"EPubDate":"2025/1/1 0:00:00","PubModel":"eCollection","JCR":"Q4","JCRName":"GENETICS & HEREDITY","Score":null,"Total":0}
引用次数: 0

摘要

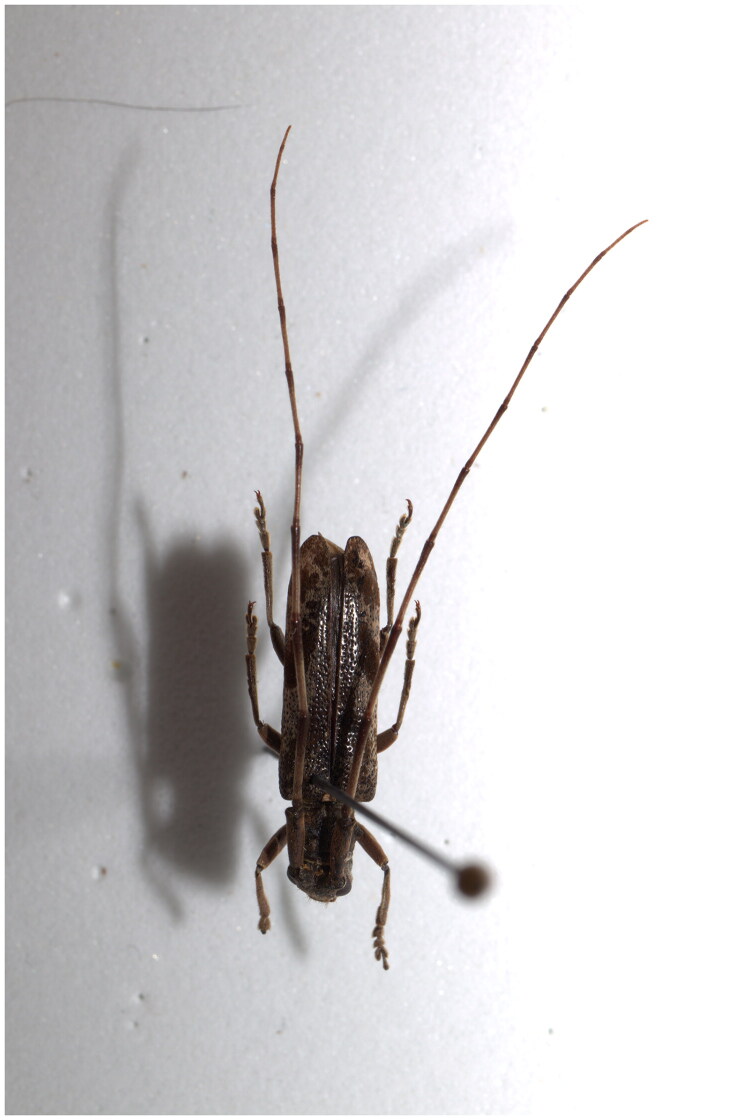
天牛科,1856(鞘翅目:天牛科)是影响森林经济的主要螟虫之一。然而,对古鳗的研究仍然有限。在这项研究中,我们成功地测序了古鳗的全线粒体基因组。分析结果显示,线粒体基因组全长15678 bp, GC含量为36.7%。它由13个蛋白质编码基因(CDS)、22个转移RNA基因(tRNA)、2个核糖体RNA基因(rRNA)和一个富含A + t的区域组成。系统发育分析表明,古鳗与扁桃有较近的亲缘关系。这项研究为天牛科的进化动力学提供了有价值的遗传见解。
本文章由计算机程序翻译,如有差异,请以英文原文为准。

The complete mitochondrial genome of <i>Uraecha angusta</i> Pascoe, 1856 (Coleoptera: Cerambycidae) and its phylogenetic analyses.

The complete mitochondrial genome of <i>Uraecha angusta</i> Pascoe, 1856 (Coleoptera: Cerambycidae) and its phylogenetic analyses.

The complete mitochondrial genome of <i>Uraecha angusta</i> Pascoe, 1856 (Coleoptera: Cerambycidae) and its phylogenetic analyses.

The complete mitochondrial genome of Uraecha angusta Pascoe, 1856 (Coleoptera: Cerambycidae) and its phylogenetic analyses.

Uraecha angusta Pascoe, 1856 (Coleoptera: Cerambycidae) is one of the primary stem borers affecting economically significant forests. However, research on U. angusta remains limited. In this study, we successfully sequenced the complete mitochondrial genome of U. angusta. The analysis revealed that the mitochondrial genome spans 15,678 bp with a GC content of 36.7%. It comprises13 protein-coding genes (CDS), 22 transfer RNA genes (tRNA), 2 ribosomal RNA genes (rRNA), and an A + T-rich region. Phylogenetic analysis revealed that U. angusta is closely related to Annamanum lunulatum. This study offers valuable genetic insights into the evolutionary dynamics within the Cerambycidae family.

求助全文
通过发布文献求助,成功后即可免费获取论文全文。 去求助
来源期刊
Mitochondrial DNA. Part B, Resources
Mitochondrial DNA. Part B, Resources Biochemistry, Genetics and Molecular Biology-Molecular Biology
CiteScore
1.30
自引率
20.00%
发文量
670
期刊介绍: This open access journal publishes high-quality and concise research articles reporting the sequence of full mitochondrial genomes, and short communications focusing on the physical, chemical, and biochemical aspects of mtDNA and proteins involved in mtDNA metabolism and interactions.
×
引用
GB/T 7714-2015
复制
MLA
复制
APA
复制
导出至
BibTeX EndNote RefMan NoteFirst NoteExpress
×
提示
您的信息不完整,为了账户安全,请先补充。
现在去补充
×
提示
您因"违规操作"
具体请查看互助需知
我知道了
×
提示
确定
请完成安全验证×
copy
已复制链接
快去分享给好友吧!
我知道了
右上角分享
点击右上角分享
0
联系我们:info@booksci.cn Book学术提供免费学术资源搜索服务,方便国内外学者检索中英文文献。致力于提供最便捷和优质的服务体验。 Copyright © 2023 布克学术 All rights reserved.
京ICP备2023020795号-1
ghs 京公网安备 11010802042870号
Book学术文献互助
Book学术文献互助群
群 号:604180095
Book学术官方微信