一氧化氮供体对人巨噬细胞铁下垂的调节作用。

Sovremennye tekhnologii v meditsine Pub Date : 2025-01-01 Epub Date: 2025-06-30 DOI:10.17691/stm2025.17.3.04
I I Vlasova, M D Yurkanova, A A Zolotopup, T O Klyucherev, P S Timashev
{"title":"一氧化氮供体对人巨噬细胞铁下垂的调节作用。","authors":"I I Vlasova, M D Yurkanova, A A Zolotopup, T O Klyucherev, P S Timashev","doi":"10.17691/stm2025.17.3.04","DOIUrl":null,"url":null,"abstract":"<p><p>Ferroptosis is a programmed form of cell death in which iron-dependent lipid peroxidation is the main feature. Macrophages are the major cells of the immune system, they function in a pro-oxidative environment, so the study of their susceptibility to ferroptosis and the search for approaches to its regulation are important. <b>The aim of the study</b> was to investigate ferroptosis in macrophages differentiated from THP-1 myeloid leukemia cells and to compare the effect of NO donors with different half-lives on the degree of ferroptosis development.</p><p><strong>Materials and methods: </strong>RSL3 and ML-162, inhibitors of glutathione peroxidase 4 (GPX4), and erastin, an inhibitor of cystine/ glutamate transport, were used to induce ferroptosis in THP-1 macrophages. The progression of ferroptosis was monitored using three independent methods: reduction of Alamar blue by live cells, measurement of lactate dehydrogenase in the medium, and the LIVE/DEAD assay. Ferroptotic cell death was proven by using the specific inhibitor ferrostatin-1 and by detecting lipid oxidation in cells using the BODIPY 581/591 C11 fluorescent probe.</p><p><strong>Results: </strong>RSL3 and ML-162 dose-dependently induced ferroptosis in cells. THP-1 macrophage ferroptosis is a slow process and begins ~5 h after inducer addition. Erastin was a weak ferroptosis inducer; however, it enhanced ferroptosis induced by GPX4 inhibitors. We compared the ability of two NO donors with different half-lives to affect THP-1 macrophage ferroptosis: DEA NONOate (2 min) and DTPA NONOate (3 h). Donors were added either once after the inducer at a concentration of 100-120 μM or repeatedly until reaching the final concentration. DEA had no effect on THP-1 macrophage ferroptosis, whereas DPTA completely inhibited ferroptosis.</p><p><strong>Conclusion: </strong>DTPA, being an NO donor with a half-life of 3 h at 37°С, can be used to inhibit ferroptosis in THP-1 macrophages, which develops within 17-19 h. Therefore, there are mechanisms of prolongation of NO action in cells that should be studied to use NO donors for regulation of cellular ferroptosis.</p>","PeriodicalId":520289,"journal":{"name":"Sovremennye tekhnologii v meditsine","volume":"17 3","pages":"41-48"},"PeriodicalIF":0.0000,"publicationDate":"2025-01-01","publicationTypes":"Journal Article","fieldsOfStudy":null,"isOpenAccess":false,"openAccessPdf":"https://www.ncbi.nlm.nih.gov/pmc/articles/PMC12261289/pdf/","citationCount":"0","resultStr":"{\"title\":\"Regulation of Ferroptosis in Human Macrophage by Nitric Oxide Donors.\",\"authors\":\"I I Vlasova, M D Yurkanova, A A Zolotopup, T O Klyucherev, P S Timashev\",\"doi\":\"10.17691/stm2025.17.3.04\",\"DOIUrl\":null,\"url\":null,\"abstract\":\"<p><p>Ferroptosis is a programmed form of cell death in which iron-dependent lipid peroxidation is the main feature. Macrophages are the major cells of the immune system, they function in a pro-oxidative environment, so the study of their susceptibility to ferroptosis and the search for approaches to its regulation are important. <b>The aim of the study</b> was to investigate ferroptosis in macrophages differentiated from THP-1 myeloid leukemia cells and to compare the effect of NO donors with different half-lives on the degree of ferroptosis development.</p><p><strong>Materials and methods: </strong>RSL3 and ML-162, inhibitors of glutathione peroxidase 4 (GPX4), and erastin, an inhibitor of cystine/ glutamate transport, were used to induce ferroptosis in THP-1 macrophages. The progression of ferroptosis was monitored using three independent methods: reduction of Alamar blue by live cells, measurement of lactate dehydrogenase in the medium, and the LIVE/DEAD assay. Ferroptotic cell death was proven by using the specific inhibitor ferrostatin-1 and by detecting lipid oxidation in cells using the BODIPY 581/591 C11 fluorescent probe.</p><p><strong>Results: </strong>RSL3 and ML-162 dose-dependently induced ferroptosis in cells. THP-1 macrophage ferroptosis is a slow process and begins ~5 h after inducer addition. Erastin was a weak ferroptosis inducer; however, it enhanced ferroptosis induced by GPX4 inhibitors. We compared the ability of two NO donors with different half-lives to affect THP-1 macrophage ferroptosis: DEA NONOate (2 min) and DTPA NONOate (3 h). Donors were added either once after the inducer at a concentration of 100-120 μM or repeatedly until reaching the final concentration. DEA had no effect on THP-1 macrophage ferroptosis, whereas DPTA completely inhibited ferroptosis.</p><p><strong>Conclusion: </strong>DTPA, being an NO donor with a half-life of 3 h at 37°С, can be used to inhibit ferroptosis in THP-1 macrophages, which develops within 17-19 h. Therefore, there are mechanisms of prolongation of NO action in cells that should be studied to use NO donors for regulation of cellular ferroptosis.</p>\",\"PeriodicalId\":520289,\"journal\":{\"name\":\"Sovremennye tekhnologii v meditsine\",\"volume\":\"17 3\",\"pages\":\"41-48\"},\"PeriodicalIF\":0.0000,\"publicationDate\":\"2025-01-01\",\"publicationTypes\":\"Journal Article\",\"fieldsOfStudy\":null,\"isOpenAccess\":false,\"openAccessPdf\":\"https://www.ncbi.nlm.nih.gov/pmc/articles/PMC12261289/pdf/\",\"citationCount\":\"0\",\"resultStr\":null,\"platform\":\"Semanticscholar\",\"paperid\":null,\"PeriodicalName\":\"Sovremennye tekhnologii v meditsine\",\"FirstCategoryId\":\"1085\",\"ListUrlMain\":\"https://doi.org/10.17691/stm2025.17.3.04\",\"RegionNum\":0,\"RegionCategory\":null,\"ArticlePicture\":[],\"TitleCN\":null,\"AbstractTextCN\":null,\"PMCID\":null,\"EPubDate\":\"2025/6/30 0:00:00\",\"PubModel\":\"Epub\",\"JCR\":\"\",\"JCRName\":\"\",\"Score\":null,\"Total\":0}","platform":"Semanticscholar","paperid":null,"PeriodicalName":"Sovremennye tekhnologii v meditsine","FirstCategoryId":"1085","ListUrlMain":"https://doi.org/10.17691/stm2025.17.3.04","RegionNum":0,"RegionCategory":null,"ArticlePicture":[],"TitleCN":null,"AbstractTextCN":null,"PMCID":null,"EPubDate":"2025/6/30 0:00:00","PubModel":"Epub","JCR":"","JCRName":"","Score":null,"Total":0}
引用次数: 0

摘要

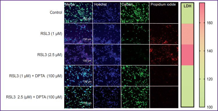
铁死亡是一种程序性的细胞死亡形式,其中铁依赖性脂质过氧化是主要特征。巨噬细胞是免疫系统的主要细胞,它们在促氧化环境中起作用,因此研究巨噬细胞对铁凋亡的易感性及其调控方法具有重要意义。本研究旨在探讨THP-1髓系白血病细胞分化后巨噬细胞的铁下垂情况,并比较不同半衰期NO供体对铁下垂发展程度的影响。材料和方法:采用谷胱甘肽过氧化物酶4 (GPX4)抑制剂RSL3、ML-162和胱氨酸/谷氨酸转运抑制剂erastin诱导THP-1巨噬细胞铁凋亡。采用三种独立的方法监测铁下垂的进展:活细胞减少Alamar蓝,培养基中乳酸脱氢酶的测定和live /DEAD法。通过使用特异性抑制剂铁抑素-1和使用BODIPY 581/591 C11荧光探针检测细胞中的脂质氧化,证实了铁致细胞死亡。结果:RSL3和ML-162诱导细胞铁下垂呈剂量依赖性。THP-1巨噬细胞铁下垂是一个缓慢的过程,在加入诱导剂后约5小时开始。Erastin是弱铁下垂诱导剂;然而,它增强了GPX4抑制剂诱导的铁下垂。我们比较了两种不同半衰期NO供体对THP-1巨噬细胞铁凋亡的影响:DEA NONOate(2分钟)和DTPA NONOate(3小时)。诱导剂加入后,以100-120 μM的浓度加入1次供体,或重复加入至终浓度。DEA对THP-1巨噬细胞铁下垂无影响,而DPTA完全抑制铁下垂。结论:DTPA作为NO供体,在37°С下半衰期为3 h,可以抑制THP-1巨噬细胞在17-19 h内发生的铁下垂。因此,利用NO供体调节细胞铁下垂,需要研究细胞中NO作用的延长机制。
本文章由计算机程序翻译,如有差异,请以英文原文为准。

Regulation of Ferroptosis in Human Macrophage by Nitric Oxide Donors.

Regulation of Ferroptosis in Human Macrophage by Nitric Oxide Donors.

Regulation of Ferroptosis in Human Macrophage by Nitric Oxide Donors.

Regulation of Ferroptosis in Human Macrophage by Nitric Oxide Donors.

Ferroptosis is a programmed form of cell death in which iron-dependent lipid peroxidation is the main feature. Macrophages are the major cells of the immune system, they function in a pro-oxidative environment, so the study of their susceptibility to ferroptosis and the search for approaches to its regulation are important. The aim of the study was to investigate ferroptosis in macrophages differentiated from THP-1 myeloid leukemia cells and to compare the effect of NO donors with different half-lives on the degree of ferroptosis development.

Materials and methods: RSL3 and ML-162, inhibitors of glutathione peroxidase 4 (GPX4), and erastin, an inhibitor of cystine/ glutamate transport, were used to induce ferroptosis in THP-1 macrophages. The progression of ferroptosis was monitored using three independent methods: reduction of Alamar blue by live cells, measurement of lactate dehydrogenase in the medium, and the LIVE/DEAD assay. Ferroptotic cell death was proven by using the specific inhibitor ferrostatin-1 and by detecting lipid oxidation in cells using the BODIPY 581/591 C11 fluorescent probe.

Results: RSL3 and ML-162 dose-dependently induced ferroptosis in cells. THP-1 macrophage ferroptosis is a slow process and begins ~5 h after inducer addition. Erastin was a weak ferroptosis inducer; however, it enhanced ferroptosis induced by GPX4 inhibitors. We compared the ability of two NO donors with different half-lives to affect THP-1 macrophage ferroptosis: DEA NONOate (2 min) and DTPA NONOate (3 h). Donors were added either once after the inducer at a concentration of 100-120 μM or repeatedly until reaching the final concentration. DEA had no effect on THP-1 macrophage ferroptosis, whereas DPTA completely inhibited ferroptosis.

Conclusion: DTPA, being an NO donor with a half-life of 3 h at 37°С, can be used to inhibit ferroptosis in THP-1 macrophages, which develops within 17-19 h. Therefore, there are mechanisms of prolongation of NO action in cells that should be studied to use NO donors for regulation of cellular ferroptosis.

求助全文
通过发布文献求助,成功后即可免费获取论文全文。 去求助
来源期刊
自引率
0.00%
发文量
0
×
引用
GB/T 7714-2015
复制
MLA
复制
APA
复制
导出至
BibTeX EndNote RefMan NoteFirst NoteExpress
×
提示
您的信息不完整,为了账户安全,请先补充。
现在去补充
×
提示
您因"违规操作"
具体请查看互助需知
我知道了
×
提示
确定
请完成安全验证×
copy
已复制链接
快去分享给好友吧!
我知道了
右上角分享
点击右上角分享
0
联系我们:info@booksci.cn Book学术提供免费学术资源搜索服务,方便国内外学者检索中英文文献。致力于提供最便捷和优质的服务体验。 Copyright © 2023 布克学术 All rights reserved.
京ICP备2023020795号-1
ghs 京公网安备 11010802042870号
Book学术文献互助
Book学术文献互助群
群 号:604180095
Book学术官方微信