猫下食道括约肌贲门失弛缓症样综合征。

IF 0.7 Q3 VETERINARY SCIENCES
Journal of Feline Medicine and Surgery Open Reports Pub Date : 2025-06-29 eCollection Date: 2025-01-01 DOI:10.1177/20551169251341055
Carol Reinero, Megan Grobman, Aida Vientós-Plotts, Isabelle Masseau, Charlotte Gerhard
{"title":"猫下食道括约肌贲门失弛缓症样综合征。","authors":"Carol Reinero, Megan Grobman, Aida Vientós-Plotts, Isabelle Masseau, Charlotte Gerhard","doi":"10.1177/20551169251341055","DOIUrl":null,"url":null,"abstract":"<p><strong>Case summary: </strong>Feline megaesophagus (ME) is a rare failure of esophageal motility leading to regurgitation, weight loss and sometimes death in cats. It has been identified secondarily to neurologic and neuromuscular disorders, mechanical obstruction of the esophagus (eg, vascular ring anomalies, esophageal stricture) and upper airway obstruction among others; when no cause is found, it is considered idiopathic. Videofluoroscopic swallow studies (VFSSs), especially using an unrestrained free-feeding protocol, are underutilized for comprehensive evaluation of cats with regurgitation, including identifying the etiology of ME. In this case report, a 3-month-old male intact domestic shorthair cat with a history of regurgitation since weaning and radiographic evidence of ME had VFSS features compatible with a functional obstruction of the lower esophageal sphincter (LES) consistent with LES achalasia-like syndrome. Medical management with sildenafil failed to improve clinical signs, and surgical correction of LES achalasia using a Heller myotomy and Dor fundoplication was declined. As a result of caregiver compassion fatigue from persistent regurgitation, euthanasia was elected.</p><p><strong>Relevance and novel information: </strong>Videofluoroscopic documentation of functional obstruction of the LES (ie, LES achalasia-like syndrome) can identify a novel etiology of feline ME. Free-feeding unrestrained VFSS protocols are recommended to allow physiologic assessment of swallowing disorders with no higher risk of aspiration than eating and drinking at home. Recognition of LES achalasia-like syndrome may lead to further study of directed treatments targeting the functional obstruction as has been carried out in humans and dogs.</p>","PeriodicalId":36588,"journal":{"name":"Journal of Feline Medicine and Surgery Open Reports","volume":"11 1","pages":"20551169251341055"},"PeriodicalIF":0.7000,"publicationDate":"2025-06-29","publicationTypes":"Journal Article","fieldsOfStudy":null,"isOpenAccess":false,"openAccessPdf":"https://www.ncbi.nlm.nih.gov/pmc/articles/PMC12207000/pdf/","citationCount":"0","resultStr":"{\"title\":\"Lower esophageal sphincter achalasia-like syndrome causing megaesophagus in a cat.\",\"authors\":\"Carol Reinero, Megan Grobman, Aida Vientós-Plotts, Isabelle Masseau, Charlotte Gerhard\",\"doi\":\"10.1177/20551169251341055\",\"DOIUrl\":null,\"url\":null,\"abstract\":\"<p><strong>Case summary: </strong>Feline megaesophagus (ME) is a rare failure of esophageal motility leading to regurgitation, weight loss and sometimes death in cats. It has been identified secondarily to neurologic and neuromuscular disorders, mechanical obstruction of the esophagus (eg, vascular ring anomalies, esophageal stricture) and upper airway obstruction among others; when no cause is found, it is considered idiopathic. Videofluoroscopic swallow studies (VFSSs), especially using an unrestrained free-feeding protocol, are underutilized for comprehensive evaluation of cats with regurgitation, including identifying the etiology of ME. In this case report, a 3-month-old male intact domestic shorthair cat with a history of regurgitation since weaning and radiographic evidence of ME had VFSS features compatible with a functional obstruction of the lower esophageal sphincter (LES) consistent with LES achalasia-like syndrome. Medical management with sildenafil failed to improve clinical signs, and surgical correction of LES achalasia using a Heller myotomy and Dor fundoplication was declined. As a result of caregiver compassion fatigue from persistent regurgitation, euthanasia was elected.</p><p><strong>Relevance and novel information: </strong>Videofluoroscopic documentation of functional obstruction of the LES (ie, LES achalasia-like syndrome) can identify a novel etiology of feline ME. Free-feeding unrestrained VFSS protocols are recommended to allow physiologic assessment of swallowing disorders with no higher risk of aspiration than eating and drinking at home. Recognition of LES achalasia-like syndrome may lead to further study of directed treatments targeting the functional obstruction as has been carried out in humans and dogs.</p>\",\"PeriodicalId\":36588,\"journal\":{\"name\":\"Journal of Feline Medicine and Surgery Open Reports\",\"volume\":\"11 1\",\"pages\":\"20551169251341055\"},\"PeriodicalIF\":0.7000,\"publicationDate\":\"2025-06-29\",\"publicationTypes\":\"Journal Article\",\"fieldsOfStudy\":null,\"isOpenAccess\":false,\"openAccessPdf\":\"https://www.ncbi.nlm.nih.gov/pmc/articles/PMC12207000/pdf/\",\"citationCount\":\"0\",\"resultStr\":null,\"platform\":\"Semanticscholar\",\"paperid\":null,\"PeriodicalName\":\"Journal of Feline Medicine and Surgery Open Reports\",\"FirstCategoryId\":\"1085\",\"ListUrlMain\":\"https://doi.org/10.1177/20551169251341055\",\"RegionNum\":0,\"RegionCategory\":null,\"ArticlePicture\":[],\"TitleCN\":null,\"AbstractTextCN\":null,\"PMCID\":null,\"EPubDate\":\"2025/1/1 0:00:00\",\"PubModel\":\"eCollection\",\"JCR\":\"Q3\",\"JCRName\":\"VETERINARY SCIENCES\",\"Score\":null,\"Total\":0}","platform":"Semanticscholar","paperid":null,"PeriodicalName":"Journal of Feline Medicine and Surgery Open Reports","FirstCategoryId":"1085","ListUrlMain":"https://doi.org/10.1177/20551169251341055","RegionNum":0,"RegionCategory":null,"ArticlePicture":[],"TitleCN":null,"AbstractTextCN":null,"PMCID":null,"EPubDate":"2025/1/1 0:00:00","PubModel":"eCollection","JCR":"Q3","JCRName":"VETERINARY SCIENCES","Score":null,"Total":0}
引用次数: 0

摘要

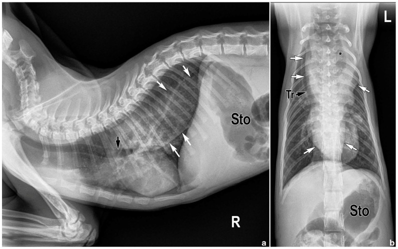
病例总结:猫食道肥大(ME)是一种罕见的食道运动障碍,会导致猫的反流、体重减轻,有时甚至死亡。它已被确定为继发于神经和神经肌肉疾病、食道机械性梗阻(如血管环异常、食道狭窄)和上气道梗阻等;当找不到病因时,被认为是特发性的。视频透视吞咽研究(VFSSs),特别是使用不受约束的自由喂养方案,尚未充分用于对反流猫的综合评估,包括确定ME的病因。在本病例报告中,一只3个月大的雄性完整家养短毛猫,自断奶以来有反流史,影像学证据显示为ME,其VFSS特征与食管下括约肌(LES)功能性梗阻相一致,符合LES贲门贲门样综合征。用药西地那非未能改善临床症状,采用Heller肌切开术和Dor底襞术矫正LES贲门失弛缓症的手术治疗被拒绝。由于护理人员对持续反流的同情疲劳,选择了安乐死。相关性和新信息:视频透视记录的LES功能性梗阻(即LES贲门亚样综合征)可以识别猫ME的新病因。建议使用自由喂养不受约束的VFSS方案,对吞咽障碍进行生理评估,且不存在比在家进食和饮水更高的误吸风险。对LES贲门弛缓样综合征的认识可能会导致针对功能性阻塞的定向治疗的进一步研究,正如已经在人类和狗身上进行的那样。
本文章由计算机程序翻译,如有差异,请以英文原文为准。

Lower esophageal sphincter achalasia-like syndrome causing megaesophagus in a cat.

Lower esophageal sphincter achalasia-like syndrome causing megaesophagus in a cat.

Lower esophageal sphincter achalasia-like syndrome causing megaesophagus in a cat.

Lower esophageal sphincter achalasia-like syndrome causing megaesophagus in a cat.

Case summary: Feline megaesophagus (ME) is a rare failure of esophageal motility leading to regurgitation, weight loss and sometimes death in cats. It has been identified secondarily to neurologic and neuromuscular disorders, mechanical obstruction of the esophagus (eg, vascular ring anomalies, esophageal stricture) and upper airway obstruction among others; when no cause is found, it is considered idiopathic. Videofluoroscopic swallow studies (VFSSs), especially using an unrestrained free-feeding protocol, are underutilized for comprehensive evaluation of cats with regurgitation, including identifying the etiology of ME. In this case report, a 3-month-old male intact domestic shorthair cat with a history of regurgitation since weaning and radiographic evidence of ME had VFSS features compatible with a functional obstruction of the lower esophageal sphincter (LES) consistent with LES achalasia-like syndrome. Medical management with sildenafil failed to improve clinical signs, and surgical correction of LES achalasia using a Heller myotomy and Dor fundoplication was declined. As a result of caregiver compassion fatigue from persistent regurgitation, euthanasia was elected.

Relevance and novel information: Videofluoroscopic documentation of functional obstruction of the LES (ie, LES achalasia-like syndrome) can identify a novel etiology of feline ME. Free-feeding unrestrained VFSS protocols are recommended to allow physiologic assessment of swallowing disorders with no higher risk of aspiration than eating and drinking at home. Recognition of LES achalasia-like syndrome may lead to further study of directed treatments targeting the functional obstruction as has been carried out in humans and dogs.

求助全文
通过发布文献求助,成功后即可免费获取论文全文。 去求助
来源期刊
CiteScore
1.30
自引率
14.30%
发文量
57
审稿时长
15 weeks
×
引用
GB/T 7714-2015
复制
MLA
复制
APA
复制
导出至
BibTeX EndNote RefMan NoteFirst NoteExpress
×
提示
您的信息不完整,为了账户安全,请先补充。
现在去补充
×
提示
您因"违规操作"
具体请查看互助需知
我知道了
×
提示
确定
请完成安全验证×
copy
已复制链接
快去分享给好友吧!
我知道了
右上角分享
点击右上角分享
0
联系我们:info@booksci.cn Book学术提供免费学术资源搜索服务,方便国内外学者检索中英文文献。致力于提供最便捷和优质的服务体验。 Copyright © 2023 布克学术 All rights reserved.
京ICP备2023020795号-1
ghs 京公网安备 11010802042870号
Book学术文献互助
Book学术文献互助群
群 号:604180095
Book学术官方微信