0.5Gy通过调节HO-1/Nrf2和细胞凋亡通路,增强对后续高剂量γ射线的抵抗力。

IF 3.9 2区 综合性期刊 Q1 MULTIDISCIPLINARY SCIENCES
Yasser F Ali, Ibrahim M Hassan, Hussein M Abdelhafez, Omar S Desouky
{"title":"0.5Gy通过调节HO-1/Nrf2和细胞凋亡通路,增强对后续高剂量γ射线的抵抗力。","authors":"Yasser F Ali, Ibrahim M Hassan, Hussein M Abdelhafez, Omar S Desouky","doi":"10.1038/s41598-025-91667-9","DOIUrl":null,"url":null,"abstract":"<p><p>Ionizing radiation, from the DNA centric view, elicits biological effects and health consequences solely through energy deposition events in the cell nucleus. At higher radiation doses, this is likely true; however, at low doses, non-targeted effects, a subcategory of which is the adaptive response, tend to dominate. Controversies exist over the definition of low dose. From a radiation therapy view, it is defined as 0.5-0.7 Gy. Therefore, we investigated the effects of exposure to ionizing radiation with or without a 0.5 Gy priming dose. Techniques including comet assay, flow cytometry, fluorescence microscopy, and real-time quantitative PCR were employed. In normal lung fibroblasts (WI-38), there was a statistically significant difference in mean normalized tail moments when comparing treatment with the challenge dose alone to treatment with a 0.5 Gy priming dose prior to the challenge dose (P < 0.05). Moreover, pretreatment with a 0.5 Gy priming dose reduced G1 phase cell cycle arrest and cell death-either through apoptosis or mitotic catastrophe-induced by the subsequent 2 Gy exposure. Similarly, A549 Cells pre-exposed to a 0.5 Gy priming dose before a 2 Gy exposure showed a lower percentage of apoptosis than those exposed to the 2 Gy alone. Mechanistically, cells responded to a priming 0.5 Gy by increasing the expression of HMOX1, SOD, and Bcl2 while decreasing of IL-1β and TNF-α. In conclusion, 0.5 Gy induces an adaptive response in lung normal and cancer cell against subsequent high doses of γ-rays. Modulation of the HO-1/Nrf2 and apoptosis pathways underlie the resistance observed in primed cells.</p>","PeriodicalId":21811,"journal":{"name":"Scientific Reports","volume":"15 1","pages":"9199"},"PeriodicalIF":3.9000,"publicationDate":"2025-03-17","publicationTypes":"Journal Article","fieldsOfStudy":null,"isOpenAccess":false,"openAccessPdf":"https://www.ncbi.nlm.nih.gov/pmc/articles/PMC11914414/pdf/","citationCount":"0","resultStr":"{\"title\":\"0.5 Gy confers resistance to a subsequent high dose of γ-rays by modulating HO-1/Nrf2 and apoptosis pathways.\",\"authors\":\"Yasser F Ali, Ibrahim M Hassan, Hussein M Abdelhafez, Omar S Desouky\",\"doi\":\"10.1038/s41598-025-91667-9\",\"DOIUrl\":null,\"url\":null,\"abstract\":\"<p><p>Ionizing radiation, from the DNA centric view, elicits biological effects and health consequences solely through energy deposition events in the cell nucleus. At higher radiation doses, this is likely true; however, at low doses, non-targeted effects, a subcategory of which is the adaptive response, tend to dominate. Controversies exist over the definition of low dose. From a radiation therapy view, it is defined as 0.5-0.7 Gy. Therefore, we investigated the effects of exposure to ionizing radiation with or without a 0.5 Gy priming dose. Techniques including comet assay, flow cytometry, fluorescence microscopy, and real-time quantitative PCR were employed. In normal lung fibroblasts (WI-38), there was a statistically significant difference in mean normalized tail moments when comparing treatment with the challenge dose alone to treatment with a 0.5 Gy priming dose prior to the challenge dose (P < 0.05). Moreover, pretreatment with a 0.5 Gy priming dose reduced G1 phase cell cycle arrest and cell death-either through apoptosis or mitotic catastrophe-induced by the subsequent 2 Gy exposure. Similarly, A549 Cells pre-exposed to a 0.5 Gy priming dose before a 2 Gy exposure showed a lower percentage of apoptosis than those exposed to the 2 Gy alone. Mechanistically, cells responded to a priming 0.5 Gy by increasing the expression of HMOX1, SOD, and Bcl2 while decreasing of IL-1β and TNF-α. In conclusion, 0.5 Gy induces an adaptive response in lung normal and cancer cell against subsequent high doses of γ-rays. Modulation of the HO-1/Nrf2 and apoptosis pathways underlie the resistance observed in primed cells.</p>\",\"PeriodicalId\":21811,\"journal\":{\"name\":\"Scientific Reports\",\"volume\":\"15 1\",\"pages\":\"9199\"},\"PeriodicalIF\":3.9000,\"publicationDate\":\"2025-03-17\",\"publicationTypes\":\"Journal Article\",\"fieldsOfStudy\":null,\"isOpenAccess\":false,\"openAccessPdf\":\"https://www.ncbi.nlm.nih.gov/pmc/articles/PMC11914414/pdf/\",\"citationCount\":\"0\",\"resultStr\":null,\"platform\":\"Semanticscholar\",\"paperid\":null,\"PeriodicalName\":\"Scientific Reports\",\"FirstCategoryId\":\"103\",\"ListUrlMain\":\"https://doi.org/10.1038/s41598-025-91667-9\",\"RegionNum\":2,\"RegionCategory\":\"综合性期刊\",\"ArticlePicture\":[],\"TitleCN\":null,\"AbstractTextCN\":null,\"PMCID\":null,\"EPubDate\":\"\",\"PubModel\":\"\",\"JCR\":\"Q1\",\"JCRName\":\"MULTIDISCIPLINARY SCIENCES\",\"Score\":null,\"Total\":0}","platform":"Semanticscholar","paperid":null,"PeriodicalName":"Scientific Reports","FirstCategoryId":"103","ListUrlMain":"https://doi.org/10.1038/s41598-025-91667-9","RegionNum":2,"RegionCategory":"综合性期刊","ArticlePicture":[],"TitleCN":null,"AbstractTextCN":null,"PMCID":null,"EPubDate":"","PubModel":"","JCR":"Q1","JCRName":"MULTIDISCIPLINARY SCIENCES","Score":null,"Total":0}
引用次数: 0

摘要

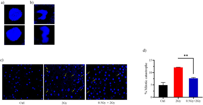
从DNA中心的观点来看,电离辐射仅通过细胞核中的能量沉积事件引起生物效应和健康后果。在较高的辐射剂量下,这可能是正确的;然而,在低剂量下,非目标效应(适应性反应的一个子类)往往占主导地位。关于低剂量的定义存在争议。从放射治疗的角度来看,它被定义为0.5-0.7 Gy。因此,我们研究了有或没有0.5 Gy起始剂量的电离辐射暴露的影响。采用彗星测定、流式细胞术、荧光显微镜和实时定量PCR等技术。在正常肺成纤维细胞(WI-38)中,当将单独攻毒剂量与攻毒剂量前0.5 Gy启动剂量的治疗进行比较时,平均归一化尾矩的差异具有统计学意义(P
本文章由计算机程序翻译,如有差异,请以英文原文为准。

0.5 Gy confers resistance to a subsequent high dose of γ-rays by modulating HO-1/Nrf2 and apoptosis pathways.

0.5 Gy confers resistance to a subsequent high dose of γ-rays by modulating HO-1/Nrf2 and apoptosis pathways.

0.5 Gy confers resistance to a subsequent high dose of γ-rays by modulating HO-1/Nrf2 and apoptosis pathways.

0.5 Gy confers resistance to a subsequent high dose of γ-rays by modulating HO-1/Nrf2 and apoptosis pathways.

Ionizing radiation, from the DNA centric view, elicits biological effects and health consequences solely through energy deposition events in the cell nucleus. At higher radiation doses, this is likely true; however, at low doses, non-targeted effects, a subcategory of which is the adaptive response, tend to dominate. Controversies exist over the definition of low dose. From a radiation therapy view, it is defined as 0.5-0.7 Gy. Therefore, we investigated the effects of exposure to ionizing radiation with or without a 0.5 Gy priming dose. Techniques including comet assay, flow cytometry, fluorescence microscopy, and real-time quantitative PCR were employed. In normal lung fibroblasts (WI-38), there was a statistically significant difference in mean normalized tail moments when comparing treatment with the challenge dose alone to treatment with a 0.5 Gy priming dose prior to the challenge dose (P < 0.05). Moreover, pretreatment with a 0.5 Gy priming dose reduced G1 phase cell cycle arrest and cell death-either through apoptosis or mitotic catastrophe-induced by the subsequent 2 Gy exposure. Similarly, A549 Cells pre-exposed to a 0.5 Gy priming dose before a 2 Gy exposure showed a lower percentage of apoptosis than those exposed to the 2 Gy alone. Mechanistically, cells responded to a priming 0.5 Gy by increasing the expression of HMOX1, SOD, and Bcl2 while decreasing of IL-1β and TNF-α. In conclusion, 0.5 Gy induces an adaptive response in lung normal and cancer cell against subsequent high doses of γ-rays. Modulation of the HO-1/Nrf2 and apoptosis pathways underlie the resistance observed in primed cells.

求助全文
通过发布文献求助,成功后即可免费获取论文全文。 去求助
来源期刊
Scientific Reports
Scientific Reports Natural Science Disciplines-
CiteScore
7.50
自引率
4.30%
发文量
19567
审稿时长
3.9 months
期刊介绍: We publish original research from all areas of the natural sciences, psychology, medicine and engineering. You can learn more about what we publish by browsing our specific scientific subject areas below or explore Scientific Reports by browsing all articles and collections. Scientific Reports has a 2-year impact factor: 4.380 (2021), and is the 6th most-cited journal in the world, with more than 540,000 citations in 2020 (Clarivate Analytics, 2021). •Engineering Engineering covers all aspects of engineering, technology, and applied science. It plays a crucial role in the development of technologies to address some of the world''s biggest challenges, helping to save lives and improve the way we live. •Physical sciences Physical sciences are those academic disciplines that aim to uncover the underlying laws of nature — often written in the language of mathematics. It is a collective term for areas of study including astronomy, chemistry, materials science and physics. •Earth and environmental sciences Earth and environmental sciences cover all aspects of Earth and planetary science and broadly encompass solid Earth processes, surface and atmospheric dynamics, Earth system history, climate and climate change, marine and freshwater systems, and ecology. It also considers the interactions between humans and these systems. •Biological sciences Biological sciences encompass all the divisions of natural sciences examining various aspects of vital processes. The concept includes anatomy, physiology, cell biology, biochemistry and biophysics, and covers all organisms from microorganisms, animals to plants. •Health sciences The health sciences study health, disease and healthcare. This field of study aims to develop knowledge, interventions and technology for use in healthcare to improve the treatment of patients.
×
引用
GB/T 7714-2015
复制
MLA
复制
APA
复制
导出至
BibTeX EndNote RefMan NoteFirst NoteExpress
×
提示
您的信息不完整,为了账户安全,请先补充。
现在去补充
×
提示
您因"违规操作"
具体请查看互助需知
我知道了
×
提示
确定
请完成安全验证×
copy
已复制链接
快去分享给好友吧!
我知道了
右上角分享
点击右上角分享
0
联系我们:info@booksci.cn Book学术提供免费学术资源搜索服务,方便国内外学者检索中英文文献。致力于提供最便捷和优质的服务体验。 Copyright © 2023 布克学术 All rights reserved.
京ICP备2023020795号-1
ghs 京公网安备 11010802042870号
Book学术文献互助
Book学术文献互助群
群 号:604180095
Book学术官方微信