A clear climatic signal of precipitation and temperature in growth of Scots pine young trees in habitats homogenous in relief, soil and access to light.

IF 3.1 3区 生物学 Q1 Agricultural and Biological Sciences
Ruslan Ianbaev, Svetlana Bakhtina, Yulay Yanbaev, Aleksey Kulagin, Nina Redkina, Vadim Tagirov
{"title":"A clear climatic signal of precipitation and temperature in growth of Scots pine young trees in habitats homogenous in relief, soil and access to light.","authors":"Ruslan Ianbaev, Svetlana Bakhtina, Yulay Yanbaev, Aleksey Kulagin, Nina Redkina, Vadim Tagirov","doi":"10.1186/s40529-025-00472-0","DOIUrl":null,"url":null,"abstract":"<p><strong>Background: </strong>The purpose of our study was to arrange the monthly temperature and precipitation in order of importance for the growth of Scots pine young trees. Model 25-year-old 405 individuals were selected in 27 forested former agricultural lands. Annual tree height increment in 2009-2013, a period with contrasting amounts of summer precipitation, was measured.</p><p><strong>Results: </strong>In all the trial plots, we found statistically significant synchronous dynamics between annual growth and monthly precipitation of the previous October and current March. Precipitation in August (significant correlation was in 96.3% of habitats), May (92.6%), July (81.5%), previous November (77.7%), and current June (74.1%) was also important for the increments. The temperature of April and September had a critical importance for plants in all habitats. Previous November and December (the correlation was significant at 81.5% of samples), March (77.8%) were also very important. Temperatures of all other months had a more site-specific effect on the growth of trees or did not affect it.</p><p><strong>Conclusions: </strong>The results obtained made it possible to quantify monthly climate signals in the Pinus sylvestris growth and may be useful in predicting the impact of climate change on the species.</p>","PeriodicalId":9185,"journal":{"name":"Botanical Studies","volume":"66 1","pages":"23"},"PeriodicalIF":3.1000,"publicationDate":"2025-08-07","publicationTypes":"Journal Article","fieldsOfStudy":null,"isOpenAccess":false,"openAccessPdf":"https://www.ncbi.nlm.nih.gov/pmc/articles/PMC12331551/pdf/","citationCount":"0","resultStr":null,"platform":"Semanticscholar","paperid":null,"PeriodicalName":"Botanical Studies","FirstCategoryId":"99","ListUrlMain":"https://doi.org/10.1186/s40529-025-00472-0","RegionNum":3,"RegionCategory":"生物学","ArticlePicture":[],"TitleCN":null,"AbstractTextCN":null,"PMCID":null,"EPubDate":"","PubModel":"","JCR":"Q1","JCRName":"Agricultural and Biological Sciences","Score":null,"Total":0}
引用次数: 0

Abstract

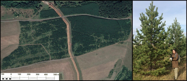
Background: The purpose of our study was to arrange the monthly temperature and precipitation in order of importance for the growth of Scots pine young trees. Model 25-year-old 405 individuals were selected in 27 forested former agricultural lands. Annual tree height increment in 2009-2013, a period with contrasting amounts of summer precipitation, was measured.

Results: In all the trial plots, we found statistically significant synchronous dynamics between annual growth and monthly precipitation of the previous October and current March. Precipitation in August (significant correlation was in 96.3% of habitats), May (92.6%), July (81.5%), previous November (77.7%), and current June (74.1%) was also important for the increments. The temperature of April and September had a critical importance for plants in all habitats. Previous November and December (the correlation was significant at 81.5% of samples), March (77.8%) were also very important. Temperatures of all other months had a more site-specific effect on the growth of trees or did not affect it.

Conclusions: The results obtained made it possible to quantify monthly climate signals in the Pinus sylvestris growth and may be useful in predicting the impact of climate change on the species.

Abstract Image

Abstract Image

Abstract Image

在地形、土壤和光照条件均相同的生境中,苏格兰松幼树生长过程中降水和温度的明显气候信号。
背景:本研究的目的是按月温度和降水对苏格兰松幼树生长的重要性排序。模型25 ~ 405个个体,分布在27个还林农用地。测量了2009-2013年夏季降水量对比期的年树高增长量。结果:在所有试验区中,前10月和今年3月的年生长量和月降水量具有统计学上显著的同步动态。8月(96.3%)、5月(92.6%)、7月(81.5%)、之前的11月(77.7%)和当前的6月(74.1%)降水对生境的增加也有重要影响。4月和9月的温度对所有生境的植物都至关重要。之前的11月和12月(81.5%的样本相关性显著),3月(77.8%)也非常重要。其他月份的温度对树木的生长有更具体的影响,或者没有影响。结论:所获得的结果可以量化西洋松生长的月气候信号,并可用于预测气候变化对该物种的影响。
本文章由计算机程序翻译,如有差异,请以英文原文为准。
求助全文
约1分钟内获得全文 求助全文
来源期刊
Botanical Studies
Botanical Studies 生物-植物科学
CiteScore
5.50
自引率
2.90%
发文量
32
审稿时长
2.4 months
期刊介绍: Botanical Studies is an open access journal that encompasses all aspects of botany, including but not limited to taxonomy, morphology, development, genetics, evolution, reproduction, systematics, and biodiversity of all plant groups, algae, and fungi. The journal is affiliated with the Institute of Plant and Microbial Biology, Academia Sinica, Taiwan.
×
引用
GB/T 7714-2015
复制
MLA
复制
APA
复制
导出至
BibTeX EndNote RefMan NoteFirst NoteExpress
×
提示
您的信息不完整,为了账户安全,请先补充。
现在去补充
×
提示
您因"违规操作"
具体请查看互助需知
我知道了
×
提示
确定
请完成安全验证×
copy
已复制链接
快去分享给好友吧!
我知道了
右上角分享
点击右上角分享
0
联系我们:info@booksci.cn Book学术提供免费学术资源搜索服务,方便国内外学者检索中英文文献。致力于提供最便捷和优质的服务体验。 Copyright © 2023 布克学术 All rights reserved.
京ICP备2023020795号-1
ghs 京公网安备 11010802042870号
Book学术文献互助
Book学术文献互助群
群 号:604180095
Book学术官方微信