Kupffer-Cell-Targeted Carboxylesterase 1f Knockdown Deteriorates Lipopolysaccharide/D-Galactosamine-Induced Acute Liver Failure Through Regulating Cellular Polarization in Mice.

IF 2.3 4区 医学 Q2 Medicine
Canadian Journal of Gastroenterology and Hepatology Pub Date : 2024-12-21 eCollection Date: 2024-01-01 DOI:10.1155/cjgh/6410484
Sai Zhao, Xue Yang, Yu He, Qian Yu, Liang-Ming Liu
{"title":"Kupffer-Cell-Targeted Carboxylesterase 1f Knockdown Deteriorates Lipopolysaccharide/D-Galactosamine-Induced Acute Liver Failure Through Regulating Cellular Polarization in Mice.","authors":"Sai Zhao, Xue Yang, Yu He, Qian Yu, Liang-Ming Liu","doi":"10.1155/cjgh/6410484","DOIUrl":null,"url":null,"abstract":"<p><p><b>Background:</b> Aims: Carboxylesterase (Ces)1f is implicated in protection against hepatic inflammation, but it is unclear whether the enzyme has an influence in polarization of Kupffer cells (KCs), the innate immune cells mediating hepatic inflammatory injury including acute liver failure (ALF). In the present study, we aim to explore KC polarization induced by Ces1f in mice with lipopolysaccharide/D-galactosamine (LPS/D-GalN)-induced ALF. <b>Methods:</b> We adopted a novel delivery system, β-1,3-D-glucan-encapsulated Endoporter-siRNA particles, to specifically target KC Ces1f knockdown via tail vein injection in mice. <b>Results:</b> Ces1f knockdown increased LPS/D-GalN-induced lethality as well as serum levels of alanine and aspartate transaminases, deteriorated hepatic inflammatory injury, and imbalanced hepatic oxidative stress molecules including myeloperoxidase, malondialdehyde, and superoxide dismutase in ALF. Ces1f knockdown also increased the levels of proinflammatory cytokines (tumor necrosis factor-<i>α</i> and interleukin-6) and decreased the levels of anti-inflammatory cytokine (interleukin-10) in LPS/D-Gal-induced ALF. Ces1f knockdown promoted KC M1 phenotype and marker expression (including CD86 and interleukin-1β), but inhibited M2 phenotype and marker expression (including CD163, CD206, and Arginase 1). <b>Conclusions:</b> Our results suggest that Ces1f plays a hepatoprotective role through regulating KC polarization, which might contribute to anti-inflammatory and antioxidative effects in LPS/D-Gal-induced ALF mice.</p>","PeriodicalId":48755,"journal":{"name":"Canadian Journal of Gastroenterology and Hepatology","volume":"2024 ","pages":"6410484"},"PeriodicalIF":2.3000,"publicationDate":"2024-12-21","publicationTypes":"Journal Article","fieldsOfStudy":null,"isOpenAccess":false,"openAccessPdf":"https://www.ncbi.nlm.nih.gov/pmc/articles/PMC11681982/pdf/","citationCount":"0","resultStr":null,"platform":"Semanticscholar","paperid":null,"PeriodicalName":"Canadian Journal of Gastroenterology and Hepatology","FirstCategoryId":"3","ListUrlMain":"https://doi.org/10.1155/cjgh/6410484","RegionNum":4,"RegionCategory":"医学","ArticlePicture":[],"TitleCN":null,"AbstractTextCN":null,"PMCID":null,"EPubDate":"2024/1/1 0:00:00","PubModel":"eCollection","JCR":"Q2","JCRName":"Medicine","Score":null,"Total":0}
引用次数: 0

Abstract

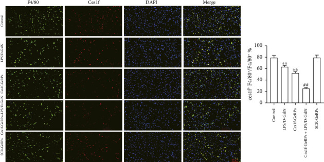
Background: Aims: Carboxylesterase (Ces)1f is implicated in protection against hepatic inflammation, but it is unclear whether the enzyme has an influence in polarization of Kupffer cells (KCs), the innate immune cells mediating hepatic inflammatory injury including acute liver failure (ALF). In the present study, we aim to explore KC polarization induced by Ces1f in mice with lipopolysaccharide/D-galactosamine (LPS/D-GalN)-induced ALF. Methods: We adopted a novel delivery system, β-1,3-D-glucan-encapsulated Endoporter-siRNA particles, to specifically target KC Ces1f knockdown via tail vein injection in mice. Results: Ces1f knockdown increased LPS/D-GalN-induced lethality as well as serum levels of alanine and aspartate transaminases, deteriorated hepatic inflammatory injury, and imbalanced hepatic oxidative stress molecules including myeloperoxidase, malondialdehyde, and superoxide dismutase in ALF. Ces1f knockdown also increased the levels of proinflammatory cytokines (tumor necrosis factor-α and interleukin-6) and decreased the levels of anti-inflammatory cytokine (interleukin-10) in LPS/D-Gal-induced ALF. Ces1f knockdown promoted KC M1 phenotype and marker expression (including CD86 and interleukin-1β), but inhibited M2 phenotype and marker expression (including CD163, CD206, and Arginase 1). Conclusions: Our results suggest that Ces1f plays a hepatoprotective role through regulating KC polarization, which might contribute to anti-inflammatory and antioxidative effects in LPS/D-Gal-induced ALF mice.

Abstract Image

Abstract Image

Abstract Image

kupffer细胞靶向羧酸酯酶1f敲低通过调节细胞极化恶化脂多糖/ d -半乳糖胺诱导的小鼠急性肝衰竭
背景:目的:羧酸酯酶(Ces)1f与肝脏炎症保护有关,但尚不清楚该酶是否影响库普弗细胞(KCs)的极化,库普弗细胞是介导肝脏炎症损伤包括急性肝衰竭(ALF)的先天免疫细胞。在本研究中,我们旨在通过脂多糖/ d -半乳糖胺(LPS/D-GalN)诱导的ALF来探讨Ces1f诱导小鼠KC极化。方法:采用β-1,3- d葡聚糖包封的enoportor - sirna颗粒,通过小鼠尾静脉注射特异性靶向KC Ces1f敲低。结果:敲低Ces1f增加了LPS/ d - galn诱导的致死性和血清丙氨酸和天冬氨酸转氨酶水平,加重了肝脏炎症损伤,并导致ALF中肝氧化应激分子(包括髓过氧化物酶、丙二醛和超氧化物歧化酶)失衡。在LPS/ d - gal诱导的ALF中,敲低Ces1f还能提高促炎细胞因子(肿瘤坏死因子-α和白细胞介素-6)水平,降低抗炎细胞因子(白细胞介素-10)水平。Ces1f敲低可促进KC M1表型和标志物(包括CD86和白细胞介素-1β)的表达,抑制M2表型和标志物(包括CD163、CD206和精氨酸酶1)的表达。结论:Ces1f通过调节KC极化发挥肝脏保护作用,这可能与LPS/ d - gal诱导的ALF小鼠的抗炎和抗氧化作用有关。
本文章由计算机程序翻译,如有差异,请以英文原文为准。
求助全文
约1分钟内获得全文 求助全文
来源期刊
CiteScore
4.80
自引率
0.00%
发文量
0
审稿时长
37 weeks
期刊介绍: Canadian Journal of Gastroenterology and Hepatology is a peer-reviewed, open access journal that publishes original research articles, review articles, and clinical studies in all areas of gastroenterology and liver disease - medicine and surgery. The Canadian Journal of Gastroenterology and Hepatology is sponsored by the Canadian Association of Gastroenterology and the Canadian Association for the Study of the Liver.
×
引用
GB/T 7714-2015
复制
MLA
复制
APA
复制
导出至
BibTeX EndNote RefMan NoteFirst NoteExpress
×
提示
您的信息不完整,为了账户安全,请先补充。
现在去补充
×
提示
您因"违规操作"
具体请查看互助需知
我知道了
×
提示
确定
请完成安全验证×
copy
已复制链接
快去分享给好友吧!
我知道了
右上角分享
点击右上角分享
0
联系我们:info@booksci.cn Book学术提供免费学术资源搜索服务,方便国内外学者检索中英文文献。致力于提供最便捷和优质的服务体验。 Copyright © 2023 布克学术 All rights reserved.
京ICP备2023020795号-1
ghs 京公网安备 11010802042870号
Book学术文献互助
Book学术文献互助群
群 号:604180095
Book学术官方微信