Muscle degeneration in aging Drosophila flies: the role of mechanical stress.

IF 4.4 2区 医学 Q2 CELL BIOLOGY
Maria Chechenova, Lilla McLendon, Bracey Dallas, Hannah Stratton, Kaveh Kiani, Erik Gerberich, Alesia Alekseyenko, Natasya Tamba, SooBin An, Lizzet Castillo, Emily Czajkowski, Christina Talley, Austin Brown, Anton L Bryantsev
{"title":"Muscle degeneration in aging Drosophila flies: the role of mechanical stress.","authors":"Maria Chechenova, Lilla McLendon, Bracey Dallas, Hannah Stratton, Kaveh Kiani, Erik Gerberich, Alesia Alekseyenko, Natasya Tamba, SooBin An, Lizzet Castillo, Emily Czajkowski, Christina Talley, Austin Brown, Anton L Bryantsev","doi":"10.1186/s13395-024-00352-4","DOIUrl":null,"url":null,"abstract":"<p><p>Muscle wasting is a universal hallmark of aging which is displayed by a wide range of organisms, although the causes and mechanisms of this phenomenon are not fully understood. We used Drosophila to characterize the phenomenon of spontaneous muscle fiber degeneration (SMFD) during aging. We found that SMFD occurs across diverse types of somatic muscles, progresses with chronological age, and positively correlates with functional muscle decline. Data from vital dyes and morphological markers imply that degenerative fibers most likely die by necrosis. Mechanistically, SMFD is driven by the damage resulting from muscle contractions, and the nervous system may play a significant role in this process. Our quantitative model of SMFD assessment can be useful in identifying and validating novel genetic factors that influence aging-related muscle wasting.</p>","PeriodicalId":21747,"journal":{"name":"Skeletal Muscle","volume":"14 1","pages":"20"},"PeriodicalIF":4.4000,"publicationDate":"2024-08-20","publicationTypes":"Journal Article","fieldsOfStudy":null,"isOpenAccess":false,"openAccessPdf":"https://www.ncbi.nlm.nih.gov/pmc/articles/PMC11334408/pdf/","citationCount":"0","resultStr":null,"platform":"Semanticscholar","paperid":null,"PeriodicalName":"Skeletal Muscle","FirstCategoryId":"3","ListUrlMain":"https://doi.org/10.1186/s13395-024-00352-4","RegionNum":2,"RegionCategory":"医学","ArticlePicture":[],"TitleCN":null,"AbstractTextCN":null,"PMCID":null,"EPubDate":"","PubModel":"","JCR":"Q2","JCRName":"CELL BIOLOGY","Score":null,"Total":0}
引用次数: 0

Abstract

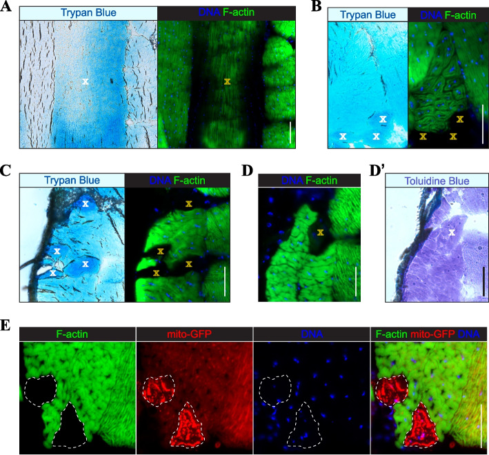
Muscle wasting is a universal hallmark of aging which is displayed by a wide range of organisms, although the causes and mechanisms of this phenomenon are not fully understood. We used Drosophila to characterize the phenomenon of spontaneous muscle fiber degeneration (SMFD) during aging. We found that SMFD occurs across diverse types of somatic muscles, progresses with chronological age, and positively correlates with functional muscle decline. Data from vital dyes and morphological markers imply that degenerative fibers most likely die by necrosis. Mechanistically, SMFD is driven by the damage resulting from muscle contractions, and the nervous system may play a significant role in this process. Our quantitative model of SMFD assessment can be useful in identifying and validating novel genetic factors that influence aging-related muscle wasting.

Abstract Image

Abstract Image

Abstract Image

衰老果蝇的肌肉退化:机械应力的作用
肌肉萎缩是衰老的一个普遍特征,许多生物都会出现这种现象,但其原因和机制尚未完全明了。我们利用果蝇研究了衰老过程中自发性肌纤维退化(SMFD)现象的特征。我们发现,自发性肌纤维变性发生在不同类型的躯体肌肉中,随着年龄的增长而加剧,并且与肌肉功能衰退呈正相关。来自生命染料和形态标记的数据表明,退行性纤维很可能因坏死而死亡。从机理上讲,SMFD 是由肌肉收缩造成的损伤驱动的,而神经系统可能在这一过程中发挥了重要作用。我们的 SMFD 定量评估模型有助于确定和验证影响衰老相关肌肉萎缩的新型遗传因素。
本文章由计算机程序翻译,如有差异,请以英文原文为准。
求助全文
约1分钟内获得全文 求助全文
来源期刊
Skeletal Muscle
Skeletal Muscle CELL BIOLOGY-
CiteScore
9.10
自引率
0.00%
发文量
25
审稿时长
12 weeks
期刊介绍: The only open access journal in its field, Skeletal Muscle publishes novel, cutting-edge research and technological advancements that investigate the molecular mechanisms underlying the biology of skeletal muscle. Reflecting the breadth of research in this area, the journal welcomes manuscripts about the development, metabolism, the regulation of mass and function, aging, degeneration, dystrophy and regeneration of skeletal muscle, with an emphasis on understanding adult skeletal muscle, its maintenance, and its interactions with non-muscle cell types and regulatory modulators. Main areas of interest include: -differentiation of skeletal muscle- atrophy and hypertrophy of skeletal muscle- aging of skeletal muscle- regeneration and degeneration of skeletal muscle- biology of satellite and satellite-like cells- dystrophic degeneration of skeletal muscle- energy and glucose homeostasis in skeletal muscle- non-dystrophic genetic diseases of skeletal muscle, such as Spinal Muscular Atrophy and myopathies- maintenance of neuromuscular junctions- roles of ryanodine receptors and calcium signaling in skeletal muscle- roles of nuclear receptors in skeletal muscle- roles of GPCRs and GPCR signaling in skeletal muscle- other relevant aspects of skeletal muscle biology. In addition, articles on translational clinical studies that address molecular and cellular mechanisms of skeletal muscle will be published. Case reports are also encouraged for submission. Skeletal Muscle reflects the breadth of research on skeletal muscle and bridges gaps between diverse areas of science for example cardiac cell biology and neurobiology, which share common features with respect to cell differentiation, excitatory membranes, cell-cell communication, and maintenance. Suitable articles are model and mechanism-driven, and apply statistical principles where appropriate; purely descriptive studies are of lesser interest.
×
引用
GB/T 7714-2015
复制
MLA
复制
APA
复制
导出至
BibTeX EndNote RefMan NoteFirst NoteExpress
×
提示
您的信息不完整,为了账户安全,请先补充。
现在去补充
×
提示
您因"违规操作"
具体请查看互助需知
我知道了
×
提示
确定
请完成安全验证×
copy
已复制链接
快去分享给好友吧!
我知道了
右上角分享
点击右上角分享
0
联系我们:info@booksci.cn Book学术提供免费学术资源搜索服务,方便国内外学者检索中英文文献。致力于提供最便捷和优质的服务体验。 Copyright © 2023 布克学术 All rights reserved.
京ICP备2023020795号-1
ghs 京公网安备 11010802042870号
Book学术文献互助
Book学术文献互助群
群 号:604180095
Book学术官方微信