Role of Th2, Th17 and Treg Cells and relevant cytokines in pathogenesis of allergic rhinitis.

IF 2.4 4区 医学 Q2 ALLERGY
Li-Ping Guo, Min Yan, Rui-Bing Niu, Lei Liu, Jing-Ru Yang, Rui-Lian Chen, Bao-Sheng Duan, Cui-Cui Li, Jian-Xiong Li
{"title":"Role of Th2, Th17 and Treg Cells and relevant cytokines in pathogenesis of allergic rhinitis.","authors":"Li-Ping Guo, Min Yan, Rui-Bing Niu, Lei Liu, Jing-Ru Yang, Rui-Lian Chen, Bao-Sheng Duan, Cui-Cui Li, Jian-Xiong Li","doi":"10.1186/s13223-024-00905-8","DOIUrl":null,"url":null,"abstract":"<p><strong>Objective: </strong>To explore the role of different cells and molecules in the pathogenesis of allergic rhinitis (AR) with positive Artemisia allergen by detecting their expression levels.</p><p><strong>Methods: </strong>From January 2021 to December 2022,200 AR patients diagnosed in the Otolaryngology Clinic of Ordos Central Hospital were selected as the AR group, and 50 healthy people who underwent physical examination in the hospital during the same period were randomly selected as the healthy control (HC) group. The levels of GATA-3mRNA, RORγtmRNA and FoxP3mRNA in peripheral blood mononuclear cells were detected by real-time fluorescence quantitative PCR (qRT-PCR). The proportions of Th2, Th17 and Treg cells were detected by flow cytometry. The concentrations of IL-4, IL-5, IL-17 and IL-10 in serum were detected by enzyme-linked immunosorbent assay. The differences of transcription gene level, immune cell ratio and cytokine concentration between the two groups were analyzed.</p><p><strong>Results: </strong>There was no difference in age and gender between the two groups. The levels of GATA-3mRNA and RORγtmRNA transcription genes in peripheral blood mononuclear cells, the percentage of Th2, Th17 and Treg immune cells, the levels of eosinophils and basophils in peripheral blood, the concentrations of IL-4, IL-5, IL-17, IL-10 cytokines and IgE in serum of AR patients were significantly higher than those in HC group (P < 0.05). IL-4 and IL-17 were positively correlated with total IgE level.</p><p><strong>Conclusion: </strong>The secretion of immune cells and cytokines in peripheral blood of AR patients is abnormal. Th2, Th17, Treg specific transcription factors and related cells and cytokines are involved in the occurrence and development of allergic rhinitis.</p>","PeriodicalId":51302,"journal":{"name":"Allergy Asthma and Clinical Immunology","volume":"20 1","pages":"40"},"PeriodicalIF":2.4000,"publicationDate":"2024-07-20","publicationTypes":"Journal Article","fieldsOfStudy":null,"isOpenAccess":false,"openAccessPdf":"https://www.ncbi.nlm.nih.gov/pmc/articles/PMC11264892/pdf/","citationCount":"0","resultStr":null,"platform":"Semanticscholar","paperid":null,"PeriodicalName":"Allergy Asthma and Clinical Immunology","FirstCategoryId":"3","ListUrlMain":"https://doi.org/10.1186/s13223-024-00905-8","RegionNum":4,"RegionCategory":"医学","ArticlePicture":[],"TitleCN":null,"AbstractTextCN":null,"PMCID":null,"EPubDate":"","PubModel":"","JCR":"Q2","JCRName":"ALLERGY","Score":null,"Total":0}
引用次数: 0

Abstract

Objective: To explore the role of different cells and molecules in the pathogenesis of allergic rhinitis (AR) with positive Artemisia allergen by detecting their expression levels.

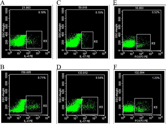
Methods: From January 2021 to December 2022,200 AR patients diagnosed in the Otolaryngology Clinic of Ordos Central Hospital were selected as the AR group, and 50 healthy people who underwent physical examination in the hospital during the same period were randomly selected as the healthy control (HC) group. The levels of GATA-3mRNA, RORγtmRNA and FoxP3mRNA in peripheral blood mononuclear cells were detected by real-time fluorescence quantitative PCR (qRT-PCR). The proportions of Th2, Th17 and Treg cells were detected by flow cytometry. The concentrations of IL-4, IL-5, IL-17 and IL-10 in serum were detected by enzyme-linked immunosorbent assay. The differences of transcription gene level, immune cell ratio and cytokine concentration between the two groups were analyzed.

Results: There was no difference in age and gender between the two groups. The levels of GATA-3mRNA and RORγtmRNA transcription genes in peripheral blood mononuclear cells, the percentage of Th2, Th17 and Treg immune cells, the levels of eosinophils and basophils in peripheral blood, the concentrations of IL-4, IL-5, IL-17, IL-10 cytokines and IgE in serum of AR patients were significantly higher than those in HC group (P < 0.05). IL-4 and IL-17 were positively correlated with total IgE level.

Conclusion: The secretion of immune cells and cytokines in peripheral blood of AR patients is abnormal. Th2, Th17, Treg specific transcription factors and related cells and cytokines are involved in the occurrence and development of allergic rhinitis.

Abstract Image

Abstract Image

Abstract Image

Th2、Th17 和 Treg 细胞及相关细胞因子在过敏性鼻炎发病机制中的作用。
目的方法:选取2021年1月至2022年12月在鄂尔多斯市中心医院耳鼻喉科就诊的200例AR患者作为AR组,同时选取在该院体检的50例健康人作为AR组:方法:选取2021年1月至2022年12月在鄂尔多斯市中心医院耳鼻咽喉科就诊的200例AR患者作为AR组,随机选取同期在该院体检的50名健康人作为健康对照(HC)组。采用实时荧光定量 PCR(qRT-PCR)技术检测外周血单核细胞中 GATA-3mRNA、RORγtmRNA 和 FoxP3mRNA 的水平。流式细胞术检测了 Th2、Th17 和 Treg 细胞的比例。血清中 IL-4、IL-5、IL-17 和 IL-10 的浓度通过酶联免疫吸附试验检测。分析了两组间转录基因水平、免疫细胞比例和细胞因子浓度的差异:结果:两组在年龄和性别上无差异。AR组患者外周血单核细胞中GATA-3mRNA和RORγtmRNA转录基因水平,Th2、Th17和Treg免疫细胞比例,外周血中嗜酸性粒细胞和嗜碱性粒细胞水平,血清中IL-4、IL-5、IL-17、IL-10细胞因子和IgE浓度均显著高于HC组(PAR患者外周血中免疫细胞和细胞因子的分泌异常。Th2、Th17、Treg 特异性转录因子及相关细胞和细胞因子参与了过敏性鼻炎的发生和发展。
本文章由计算机程序翻译,如有差异,请以英文原文为准。
求助全文
约1分钟内获得全文 求助全文
来源期刊
CiteScore
4.30
自引率
3.70%
发文量
96
审稿时长
12 weeks
期刊介绍: Allergy, Asthma & Clinical Immunology (AACI), the official journal of the Canadian Society of Allergy and Clinical Immunology (CSACI), is an open access journal that encompasses all aspects of diagnosis, epidemiology, prevention and treatment of allergic and immunologic disease. By offering a high-visibility forum for new insights and discussions, AACI provides a platform for the dissemination of allergy and clinical immunology research and reviews amongst allergists, pulmonologists, immunologists and other physicians, healthcare workers, medical students and the public worldwide. AACI reports on basic research and clinically applied studies in the following areas and other related topics: asthma and occupational lung disease, rhinoconjunctivitis and rhinosinusitis, drug hypersensitivity, allergic skin diseases, urticaria and angioedema, venom hypersensitivity, anaphylaxis and food allergy, immunotherapy, immune modulators and biologics, immune deficiency and autoimmunity, T cell and B cell functions, regulatory T cells, natural killer cells, mast cell and eosinophil functions, complement abnormalities.
×
引用
GB/T 7714-2015
复制
MLA
复制
APA
复制
导出至
BibTeX EndNote RefMan NoteFirst NoteExpress
×
提示
您的信息不完整,为了账户安全,请先补充。
现在去补充
×
提示
您因"违规操作"
具体请查看互助需知
我知道了
×
提示
确定
请完成安全验证×
copy
已复制链接
快去分享给好友吧!
我知道了
右上角分享
点击右上角分享
0
联系我们:info@booksci.cn Book学术提供免费学术资源搜索服务,方便国内外学者检索中英文文献。致力于提供最便捷和优质的服务体验。 Copyright © 2023 布克学术 All rights reserved.
京ICP备2023020795号-1
ghs 京公网安备 11010802042870号
Book学术文献互助
Book学术文献互助群
群 号:604180095
Book学术官方微信