Reduced capsaicin-induced mechanical allodynia and neuronal responses in the dorsal root ganglion in the presence of protein tyrosine phosphatase non-receptor type 6 overexpression.

IF 2.8 3区 医学 Q2 NEUROSCIENCES
Robin Vroman, Shingo Ishihara, Spencer Fullam, Matthew J Wood, Natalie S Adamczyk, Nolan Lomeli, Fransiska Malfait, Anne-Marie Malfait, Rachel E Miller, Adrienn Markovics
{"title":"Reduced capsaicin-induced mechanical allodynia and neuronal responses in the dorsal root ganglion in the presence of protein tyrosine phosphatase non-receptor type 6 overexpression.","authors":"Robin Vroman, Shingo Ishihara, Spencer Fullam, Matthew J Wood, Natalie S Adamczyk, Nolan Lomeli, Fransiska Malfait, Anne-Marie Malfait, Rachel E Miller, Adrienn Markovics","doi":"10.1177/17448069241258106","DOIUrl":null,"url":null,"abstract":"<p><p>Transient Receptor Potential Vanilloid 1 (TRPV1) is a nonselective cation channel expressed by pain-sensing neurons and has been an attractive target for the development of drugs to treat pain. Recently, Src homology region two domain-containing phosphatase-1 (SHP-1, encoded by <i>Ptpn6</i>) was shown to dephosphorylate TRPV1 in dorsal root ganglia (DRG) neurons, which was linked with alleviating different pain phenotypes. These previous studies were performed in male rodents only and did not directly investigate the role of SHP-1 in TRPV-1 mediated sensitization. Therefore, our goal was to determine the impact of <i>Ptpn6</i> overexpression on TRPV1-mediated neuronal responses and capsaicin-induced pain behavior in mice of both sexes. Twelve-week-old male and female mice overexpressing <i>Ptpn6</i> (Shp1-Tg) and their wild type (WT) littermates were used. <i>Ptpn6</i> overexpression was confirmed in the DRG of Shp1-Tg mice by RNA in situ hybridization and RT-qPCR. <i>Trpv1</i> and <i>Ptpn6</i> were found to be co-expressed in DRG sensory neurons in both genotypes. Functionally, this overexpression resulted in lower magnitude intracellular calcium responses to 200 nM capsaicin stimulation in DRG cultures from Shp1-Tg mice compared to WTs. <i>In</i> <i>vivo</i>, we tested the effects of <i>Ptpn6</i> overexpression on capsaicin-induced pain through a model of capsaicin footpad injection. While capsaicin injection evoked nocifensive behavior (paw licking) and paw swelling in both genotypes and sexes, only WT mice developed mechanical allodynia after capsaicin injection. We observed similar level of TRPV1 protein expression in the DRG of both genotypes, however, a higher amount of tyrosine phosphorylated TRPV1 was detected in WT DRG. These experiments suggest that, while SHP-1 does not mediate the acute swelling and nocifensive behavior induced by capsaicin, it does mediate a protective effect against capsaicin-induced mechanical allodynia in both sexes. The protective effect of SHP-1 might be mediated by TRPV1 dephosphorylation in capsaicin-sensitive sensory neurons of the DRG.</p>","PeriodicalId":19010,"journal":{"name":"Molecular Pain","volume":" ","pages":"17448069241258106"},"PeriodicalIF":2.8000,"publicationDate":"2024-01-01","publicationTypes":"Journal Article","fieldsOfStudy":null,"isOpenAccess":false,"openAccessPdf":"https://www.ncbi.nlm.nih.gov/pmc/articles/PMC11273697/pdf/","citationCount":"0","resultStr":null,"platform":"Semanticscholar","paperid":null,"PeriodicalName":"Molecular Pain","FirstCategoryId":"3","ListUrlMain":"https://doi.org/10.1177/17448069241258106","RegionNum":3,"RegionCategory":"医学","ArticlePicture":[],"TitleCN":null,"AbstractTextCN":null,"PMCID":null,"EPubDate":"","PubModel":"","JCR":"Q2","JCRName":"NEUROSCIENCES","Score":null,"Total":0}
引用次数: 0

Abstract

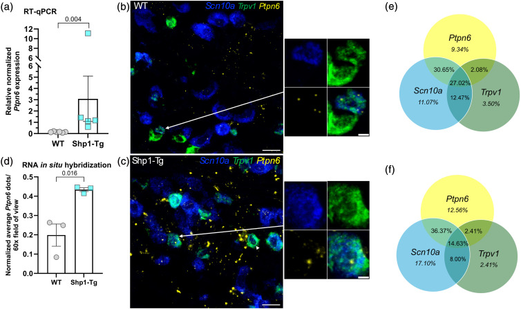
Transient Receptor Potential Vanilloid 1 (TRPV1) is a nonselective cation channel expressed by pain-sensing neurons and has been an attractive target for the development of drugs to treat pain. Recently, Src homology region two domain-containing phosphatase-1 (SHP-1, encoded by Ptpn6) was shown to dephosphorylate TRPV1 in dorsal root ganglia (DRG) neurons, which was linked with alleviating different pain phenotypes. These previous studies were performed in male rodents only and did not directly investigate the role of SHP-1 in TRPV-1 mediated sensitization. Therefore, our goal was to determine the impact of Ptpn6 overexpression on TRPV1-mediated neuronal responses and capsaicin-induced pain behavior in mice of both sexes. Twelve-week-old male and female mice overexpressing Ptpn6 (Shp1-Tg) and their wild type (WT) littermates were used. Ptpn6 overexpression was confirmed in the DRG of Shp1-Tg mice by RNA in situ hybridization and RT-qPCR. Trpv1 and Ptpn6 were found to be co-expressed in DRG sensory neurons in both genotypes. Functionally, this overexpression resulted in lower magnitude intracellular calcium responses to 200 nM capsaicin stimulation in DRG cultures from Shp1-Tg mice compared to WTs. In vivo, we tested the effects of Ptpn6 overexpression on capsaicin-induced pain through a model of capsaicin footpad injection. While capsaicin injection evoked nocifensive behavior (paw licking) and paw swelling in both genotypes and sexes, only WT mice developed mechanical allodynia after capsaicin injection. We observed similar level of TRPV1 protein expression in the DRG of both genotypes, however, a higher amount of tyrosine phosphorylated TRPV1 was detected in WT DRG. These experiments suggest that, while SHP-1 does not mediate the acute swelling and nocifensive behavior induced by capsaicin, it does mediate a protective effect against capsaicin-induced mechanical allodynia in both sexes. The protective effect of SHP-1 might be mediated by TRPV1 dephosphorylation in capsaicin-sensitive sensory neurons of the DRG.

Abstract Image

Abstract Image

Abstract Image

在 Ptpn6 过表达的情况下,辣椒素诱发的机械痛觉和 DRG 中神经元的反应减弱。
瞬时受体电位香草素 1(TRPV1)是痛觉神经元表达的一种非选择性阳离子通道,一直是开发治疗疼痛药物的一个有吸引力的靶点。最近,Src 同源区域 2 结构域含磷酸酶-1(SHP-1,由 Ptpn6 编码)被证明能使背根神经节(DRG)神经元中的 TRPV1 去磷酸化,这与缓解不同的疼痛表型有关。以前的这些研究仅在雄性啮齿动物中进行,并未直接研究 SHP-1 在 TRPV-1 介导的敏感化中的作用。因此,我们的目标是确定 Ptpn6 过表达对 TRPV1 介导的神经元反应和辣椒素诱导的雌雄小鼠疼痛行为的影响。研究人员使用了过表达 Ptpn6(Shp1-Tg)的 12 周大雌雄小鼠及其野生型(WT)同窝小鼠。通过RNA原位杂交和RT-qPCR证实了Ptpn6在Shp1-Tg小鼠DRG中的过表达。在两种基因型的 DRG 感觉神经元中,Trpv1 和 Ptpn6 被发现共同表达。在功能上,与 WT 小鼠相比,Shp1-Tg 小鼠的 DRG 培养物对 200 nM 辣椒素刺激的细胞内钙反应幅度较低。在体内,我们通过辣椒素脚垫注射模型测试了 Ptpn6 过表达对辣椒素诱发疼痛的影响。虽然两种基因型和性别的小鼠在注射辣椒素后都会诱发疼痛行为(舔爪)和爪肿胀,但只有 WT 小鼠在注射辣椒素后出现了机械异感。我们观察到两种基因型的 DRG 中 TRPV1 蛋白表达水平相似,但在 WT DRG 中检测到更多的酪氨酸磷酸化 TRPV1。这些实验表明,虽然SHP-1不能介导辣椒素诱导的急性肿胀和痛觉行为,但它确实能介导两性对辣椒素诱导的机械异感的保护作用。SHP-1的保护作用可能是由DRG中对辣椒素敏感的感觉神经元中的TRPV1去磷酸化介导的。
本文章由计算机程序翻译,如有差异,请以英文原文为准。
求助全文
约1分钟内获得全文 求助全文
来源期刊
Molecular Pain
Molecular Pain 医学-神经科学
CiteScore
5.60
自引率
3.00%
发文量
56
审稿时长
6-12 weeks
期刊介绍: Molecular Pain is a peer-reviewed, open access journal that considers manuscripts in pain research at the cellular, subcellular and molecular levels. Molecular Pain provides a forum for molecular pain scientists to communicate their research findings in a targeted manner to others in this important and growing field.
×
引用
GB/T 7714-2015
复制
MLA
复制
APA
复制
导出至
BibTeX EndNote RefMan NoteFirst NoteExpress
×
提示
您的信息不完整,为了账户安全,请先补充。
现在去补充
×
提示
您因"违规操作"
具体请查看互助需知
我知道了
×
提示
确定
请完成安全验证×
copy
已复制链接
快去分享给好友吧!
我知道了
右上角分享
点击右上角分享
0
联系我们:info@booksci.cn Book学术提供免费学术资源搜索服务,方便国内外学者检索中英文文献。致力于提供最便捷和优质的服务体验。 Copyright © 2023 布克学术 All rights reserved.
京ICP备2023020795号-1
ghs 京公网安备 11010802042870号
Book学术文献互助
Book学术文献互助群
群 号:604180095
Book学术官方微信