芪肾益气丸®不同成分调节能量代谢对缺血性心肌损伤的保护作用

Frontiers in Physiology Pub Date : 2018-04-11 eCollection Date: 2018-01-01 DOI:10.3389/fphys.2018.00389
Yuan-Chen Cui, Li Yan, Chun-Shui Pan, Bai-He Hu, Xin Chang, Jing-Yu Fan, Jing-Yan Han
{"title":"芪肾益气丸®不同成分调节能量代谢对缺血性心肌损伤的保护作用","authors":"Yuan-Chen Cui,&nbsp;Li Yan,&nbsp;Chun-Shui Pan,&nbsp;Bai-He Hu,&nbsp;Xin Chang,&nbsp;Jing-Yu Fan,&nbsp;Jing-Yan Han","doi":"10.3389/fphys.2018.00389","DOIUrl":null,"url":null,"abstract":"<p><p>Ischemic heart diseases remain a challenge for clinicians. QiShenYiQi pills® (QSYQ) has been reported to be curative during coronary heart diseases with modulation of energy metabolism as one of the underlying mechanisms. In this study, we detected the effect of QSYQ and its components on rat myocardial structure, mitochondrial respiratory chain complexes activity and energy metabolism, and heart function after 30 min of cardiac ischemia, with focusing on the contribution of each component to its potential to regulate energy metabolism. Results showed that treatment with QSYQ and all its five components protected myocardial structure from damage by ischemia. QSYQ also attenuated release of myocardial cTnI, and restored the production of ATP after cardiac ischemia. AS-IV and Rb1, but not Rg1, R1, and DLA, had similar effect as QSYQ in regulation of energy metabolism. These results indicate that QSYQ may prevent ischemia-induced cardiac injury via regulation of energy metabolism, to which each of its components contributes differently.</p>","PeriodicalId":504973,"journal":{"name":"Frontiers in Physiology","volume":" ","pages":"389"},"PeriodicalIF":0.0000,"publicationDate":"2018-04-11","publicationTypes":"Journal Article","fieldsOfStudy":null,"isOpenAccess":false,"openAccessPdf":"https://sci-hub-pdf.com/10.3389/fphys.2018.00389","citationCount":"18","resultStr":"{\"title\":\"The Contribution of Different Components in QiShenYiQi Pills® to Its Potential to Modulate Energy Metabolism in Protection of Ischemic Myocardial Injury.\",\"authors\":\"Yuan-Chen Cui,&nbsp;Li Yan,&nbsp;Chun-Shui Pan,&nbsp;Bai-He Hu,&nbsp;Xin Chang,&nbsp;Jing-Yu Fan,&nbsp;Jing-Yan Han\",\"doi\":\"10.3389/fphys.2018.00389\",\"DOIUrl\":null,\"url\":null,\"abstract\":\"<p><p>Ischemic heart diseases remain a challenge for clinicians. QiShenYiQi pills® (QSYQ) has been reported to be curative during coronary heart diseases with modulation of energy metabolism as one of the underlying mechanisms. In this study, we detected the effect of QSYQ and its components on rat myocardial structure, mitochondrial respiratory chain complexes activity and energy metabolism, and heart function after 30 min of cardiac ischemia, with focusing on the contribution of each component to its potential to regulate energy metabolism. Results showed that treatment with QSYQ and all its five components protected myocardial structure from damage by ischemia. QSYQ also attenuated release of myocardial cTnI, and restored the production of ATP after cardiac ischemia. AS-IV and Rb1, but not Rg1, R1, and DLA, had similar effect as QSYQ in regulation of energy metabolism. These results indicate that QSYQ may prevent ischemia-induced cardiac injury via regulation of energy metabolism, to which each of its components contributes differently.</p>\",\"PeriodicalId\":504973,\"journal\":{\"name\":\"Frontiers in Physiology\",\"volume\":\" \",\"pages\":\"389\"},\"PeriodicalIF\":0.0000,\"publicationDate\":\"2018-04-11\",\"publicationTypes\":\"Journal Article\",\"fieldsOfStudy\":null,\"isOpenAccess\":false,\"openAccessPdf\":\"https://sci-hub-pdf.com/10.3389/fphys.2018.00389\",\"citationCount\":\"18\",\"resultStr\":null,\"platform\":\"Semanticscholar\",\"paperid\":null,\"PeriodicalName\":\"Frontiers in Physiology\",\"FirstCategoryId\":\"3\",\"ListUrlMain\":\"https://doi.org/10.3389/fphys.2018.00389\",\"RegionNum\":0,\"RegionCategory\":null,\"ArticlePicture\":[],\"TitleCN\":null,\"AbstractTextCN\":null,\"PMCID\":null,\"EPubDate\":\"2018/1/1 0:00:00\",\"PubModel\":\"eCollection\",\"JCR\":\"\",\"JCRName\":\"\",\"Score\":null,\"Total\":0}","platform":"Semanticscholar","paperid":null,"PeriodicalName":"Frontiers in Physiology","FirstCategoryId":"3","ListUrlMain":"https://doi.org/10.3389/fphys.2018.00389","RegionNum":0,"RegionCategory":null,"ArticlePicture":[],"TitleCN":null,"AbstractTextCN":null,"PMCID":null,"EPubDate":"2018/1/1 0:00:00","PubModel":"eCollection","JCR":"","JCRName":"","Score":null,"Total":0}
引用次数: 18

摘要

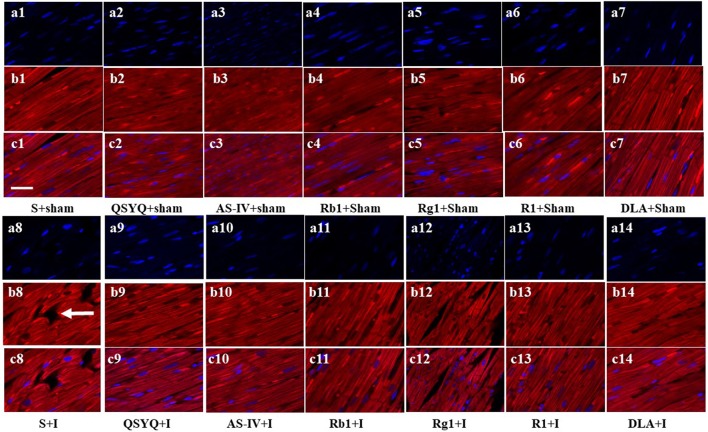
缺血性心脏病仍然是临床医生面临的挑战。气肾益气丸®(QSYQ)有治疗冠心病的疗效,其作用机制之一是调节能量代谢。在本研究中,我们检测了QSYQ及其组分在心脏缺血30min后对大鼠心肌结构、线粒体呼吸链复合物活性和能量代谢以及心功能的影响,重点研究了各组分对其调节能量代谢潜能的贡献。结果表明,芪syq及其五种成分均可保护心肌结构免受缺血损伤。QSYQ还能减弱心肌cTnI的释放,恢复心肌缺血后ATP的产生。as - iv和Rb1具有与QSYQ相似的能量代谢调节作用,而Rg1、R1和DLA不具有。这些结果表明,QSYQ可能通过调节能量代谢来预防缺血引起的心脏损伤,其中每个成分的作用不同。
本文章由计算机程序翻译,如有差异,请以英文原文为准。

The Contribution of Different Components in QiShenYiQi Pills® to Its Potential to Modulate Energy Metabolism in Protection of Ischemic Myocardial Injury.

The Contribution of Different Components in QiShenYiQi Pills® to Its Potential to Modulate Energy Metabolism in Protection of Ischemic Myocardial Injury.

The Contribution of Different Components in QiShenYiQi Pills® to Its Potential to Modulate Energy Metabolism in Protection of Ischemic Myocardial Injury.

The Contribution of Different Components in QiShenYiQi Pills® to Its Potential to Modulate Energy Metabolism in Protection of Ischemic Myocardial Injury.

Ischemic heart diseases remain a challenge for clinicians. QiShenYiQi pills® (QSYQ) has been reported to be curative during coronary heart diseases with modulation of energy metabolism as one of the underlying mechanisms. In this study, we detected the effect of QSYQ and its components on rat myocardial structure, mitochondrial respiratory chain complexes activity and energy metabolism, and heart function after 30 min of cardiac ischemia, with focusing on the contribution of each component to its potential to regulate energy metabolism. Results showed that treatment with QSYQ and all its five components protected myocardial structure from damage by ischemia. QSYQ also attenuated release of myocardial cTnI, and restored the production of ATP after cardiac ischemia. AS-IV and Rb1, but not Rg1, R1, and DLA, had similar effect as QSYQ in regulation of energy metabolism. These results indicate that QSYQ may prevent ischemia-induced cardiac injury via regulation of energy metabolism, to which each of its components contributes differently.

求助全文
通过发布文献求助,成功后即可免费获取论文全文。 去求助
来源期刊
自引率
0.00%
发文量
0
×
引用
GB/T 7714-2015
复制
MLA
复制
APA
复制
导出至
BibTeX EndNote RefMan NoteFirst NoteExpress
×
提示
您的信息不完整,为了账户安全,请先补充。
现在去补充
×
提示
您因"违规操作"
具体请查看互助需知
我知道了
×
提示
确定
请完成安全验证×
copy
已复制链接
快去分享给好友吧!
我知道了
右上角分享
点击右上角分享
0
联系我们:info@booksci.cn Book学术提供免费学术资源搜索服务,方便国内外学者检索中英文文献。致力于提供最便捷和优质的服务体验。 Copyright © 2023 布克学术 All rights reserved.
京ICP备2023020795号-1
ghs 京公网安备 11010802042870号
Book学术文献互助
Book学术文献互助群
群 号:604180095
Book学术官方微信