ANA-12靶向并抑制BDNF/TrkB信号减轻类风湿关节炎小鼠的疼痛行为

IF 3.8 3区 医学 Q2 BIOCHEMISTRY & MOLECULAR BIOLOGY
Man Yuan, Long Zhang, Ye Zheng, Min Xie
{"title":"ANA-12靶向并抑制BDNF/TrkB信号减轻类风湿关节炎小鼠的疼痛行为","authors":"Man Yuan,&nbsp;Long Zhang,&nbsp;Ye Zheng,&nbsp;Min Xie","doi":"10.1007/s11064-025-04487-8","DOIUrl":null,"url":null,"abstract":"<div><p>Rheumatoid arthritis (RA) is a chronic, systemic, inflammatory disease. Sensitization of central pain pathways by pro-inflammatory mediators has been implicated in RA pain. Locus coeruleus (LC) functions in pain pathways. Brain-derived neurotrophic factor (BDNF) participates in the modulation of nociception and pain. A mouse model of RA immunized with collagen-induced arthritis (CIA) was used for investigating the mechanisms of pain relief by administration of the tropomyosin receptor kinase B (TrkB) receptor antagonist ANA-12. We measured the pain behaviors and locomotor activity and found increased pain sensitivity and locomotor deficit in RA mice; ANA-12 treatment reduced pain behaviors and promoted locomotor function recovery. The glial activation and increased activities of BDNF/TrkB and MAPK signal pathways were found in LC of RA mice. The components of NLRP3 inflammasome were all increased and consequently enhanced the production of pro-inflammatory cytokine interleukin (IL)-1β. Upon ANA-12 treatment, glial cell activation was reduced, BDNF/TrkB and MAPK pathways were suppressed, and the expression levels of the above-mentioned proteins were reduced. Finally, U251 cells were conducted to further confirm the regulatory mechanisms of ANA-12 on inflammation. The results showed the colocalization of BDNF/NLRP3/IL-1β and GFAP. ANA-12 treatment decreased the protein levels of BDNF, TrkB, MAPK, NLRP3, and caspase-1 in IL-1β-induced cells. Besides, ANA-12 treatment decreased NLRC4 and AIM2 inflammasomes both in RA mice and IL-1β-induced cells. These results suggested that ANA-12 alleviates hyperalgesia in RA mice by inhibiting BDNF/TrkB signaling in LC, thereby reducing glial cell activation and inflammatory cytokine release.</p></div>","PeriodicalId":719,"journal":{"name":"Neurochemical Research","volume":"50 4","pages":""},"PeriodicalIF":3.8000,"publicationDate":"2025-07-17","publicationTypes":"Journal Article","fieldsOfStudy":null,"isOpenAccess":false,"openAccessPdf":"https://www.ncbi.nlm.nih.gov/pmc/articles/PMC12271264/pdf/","citationCount":"0","resultStr":"{\"title\":\"ANA-12 Targets and Inhibits BDNF/TrkB Signaling to Alleviate Pain Behaviors in Rheumatoid Arthritis Mice\",\"authors\":\"Man Yuan,&nbsp;Long Zhang,&nbsp;Ye Zheng,&nbsp;Min Xie\",\"doi\":\"10.1007/s11064-025-04487-8\",\"DOIUrl\":null,\"url\":null,\"abstract\":\"<div><p>Rheumatoid arthritis (RA) is a chronic, systemic, inflammatory disease. Sensitization of central pain pathways by pro-inflammatory mediators has been implicated in RA pain. Locus coeruleus (LC) functions in pain pathways. Brain-derived neurotrophic factor (BDNF) participates in the modulation of nociception and pain. A mouse model of RA immunized with collagen-induced arthritis (CIA) was used for investigating the mechanisms of pain relief by administration of the tropomyosin receptor kinase B (TrkB) receptor antagonist ANA-12. We measured the pain behaviors and locomotor activity and found increased pain sensitivity and locomotor deficit in RA mice; ANA-12 treatment reduced pain behaviors and promoted locomotor function recovery. The glial activation and increased activities of BDNF/TrkB and MAPK signal pathways were found in LC of RA mice. The components of NLRP3 inflammasome were all increased and consequently enhanced the production of pro-inflammatory cytokine interleukin (IL)-1β. Upon ANA-12 treatment, glial cell activation was reduced, BDNF/TrkB and MAPK pathways were suppressed, and the expression levels of the above-mentioned proteins were reduced. Finally, U251 cells were conducted to further confirm the regulatory mechanisms of ANA-12 on inflammation. The results showed the colocalization of BDNF/NLRP3/IL-1β and GFAP. ANA-12 treatment decreased the protein levels of BDNF, TrkB, MAPK, NLRP3, and caspase-1 in IL-1β-induced cells. Besides, ANA-12 treatment decreased NLRC4 and AIM2 inflammasomes both in RA mice and IL-1β-induced cells. These results suggested that ANA-12 alleviates hyperalgesia in RA mice by inhibiting BDNF/TrkB signaling in LC, thereby reducing glial cell activation and inflammatory cytokine release.</p></div>\",\"PeriodicalId\":719,\"journal\":{\"name\":\"Neurochemical Research\",\"volume\":\"50 4\",\"pages\":\"\"},\"PeriodicalIF\":3.8000,\"publicationDate\":\"2025-07-17\",\"publicationTypes\":\"Journal Article\",\"fieldsOfStudy\":null,\"isOpenAccess\":false,\"openAccessPdf\":\"https://www.ncbi.nlm.nih.gov/pmc/articles/PMC12271264/pdf/\",\"citationCount\":\"0\",\"resultStr\":null,\"platform\":\"Semanticscholar\",\"paperid\":null,\"PeriodicalName\":\"Neurochemical Research\",\"FirstCategoryId\":\"3\",\"ListUrlMain\":\"https://link.springer.com/article/10.1007/s11064-025-04487-8\",\"RegionNum\":3,\"RegionCategory\":\"医学\",\"ArticlePicture\":[],\"TitleCN\":null,\"AbstractTextCN\":null,\"PMCID\":null,\"EPubDate\":\"\",\"PubModel\":\"\",\"JCR\":\"Q2\",\"JCRName\":\"BIOCHEMISTRY & MOLECULAR BIOLOGY\",\"Score\":null,\"Total\":0}","platform":"Semanticscholar","paperid":null,"PeriodicalName":"Neurochemical Research","FirstCategoryId":"3","ListUrlMain":"https://link.springer.com/article/10.1007/s11064-025-04487-8","RegionNum":3,"RegionCategory":"医学","ArticlePicture":[],"TitleCN":null,"AbstractTextCN":null,"PMCID":null,"EPubDate":"","PubModel":"","JCR":"Q2","JCRName":"BIOCHEMISTRY & MOLECULAR BIOLOGY","Score":null,"Total":0}
引用次数: 0

摘要

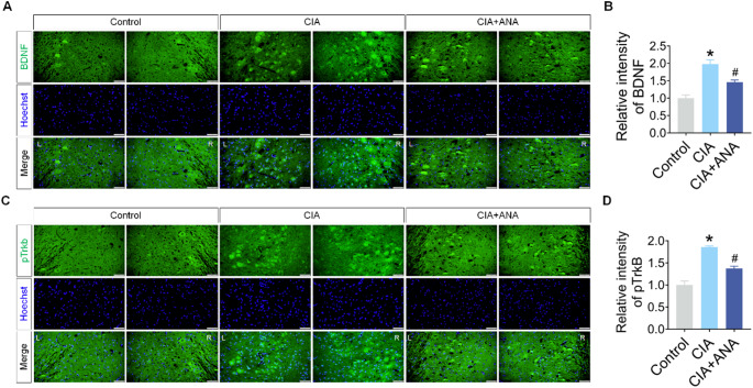
类风湿性关节炎(RA)是一种慢性全身性炎症性疾病。促炎介质对中枢疼痛通路的致敏作用与类风湿性关节炎疼痛有关。蓝斑(LC)在疼痛通路中起作用。脑源性神经营养因子(BDNF)参与痛觉和疼痛的调节。采用胶原诱导关节炎(CIA)免疫小鼠RA模型,研究原肌球蛋白受体激酶B (TrkB)受体拮抗剂ANA-12对RA疼痛缓解的作用机制。我们测量了疼痛行为和运动活动,发现RA小鼠的疼痛敏感性和运动缺陷增加;ANA-12治疗可减轻疼痛行为,促进运动功能恢复。在RA小鼠LC中发现神经胶质活化,BDNF/TrkB和MAPK信号通路活性增加。NLRP3炎性小体的成分均增加,从而促进促炎细胞因子白细胞介素-1β的产生。ANA-12处理后,胶质细胞活化降低,BDNF/TrkB和MAPK通路受到抑制,上述蛋白的表达水平降低。最后通过U251细胞进一步证实ANA-12对炎症的调控机制。结果显示BDNF/NLRP3/IL-1β和GFAP共定位。ANA-12处理降低了il -1β诱导细胞中BDNF、TrkB、MAPK、NLRP3和caspase-1的蛋白水平。此外,ANA-12处理降低了RA小鼠和il -1β诱导细胞的NLRC4和AIM2炎症小体。这些结果表明,ANA-12通过抑制LC中BDNF/TrkB信号通路,从而减少胶质细胞的活化和炎症细胞因子的释放,减轻RA小鼠痛觉过敏。
本文章由计算机程序翻译,如有差异,请以英文原文为准。

ANA-12 Targets and Inhibits BDNF/TrkB Signaling to Alleviate Pain Behaviors in Rheumatoid Arthritis Mice

ANA-12 Targets and Inhibits BDNF/TrkB Signaling to Alleviate Pain Behaviors in Rheumatoid Arthritis Mice

ANA-12 Targets and Inhibits BDNF/TrkB Signaling to Alleviate Pain Behaviors in Rheumatoid Arthritis Mice

ANA-12 Targets and Inhibits BDNF/TrkB Signaling to Alleviate Pain Behaviors in Rheumatoid Arthritis Mice

Rheumatoid arthritis (RA) is a chronic, systemic, inflammatory disease. Sensitization of central pain pathways by pro-inflammatory mediators has been implicated in RA pain. Locus coeruleus (LC) functions in pain pathways. Brain-derived neurotrophic factor (BDNF) participates in the modulation of nociception and pain. A mouse model of RA immunized with collagen-induced arthritis (CIA) was used for investigating the mechanisms of pain relief by administration of the tropomyosin receptor kinase B (TrkB) receptor antagonist ANA-12. We measured the pain behaviors and locomotor activity and found increased pain sensitivity and locomotor deficit in RA mice; ANA-12 treatment reduced pain behaviors and promoted locomotor function recovery. The glial activation and increased activities of BDNF/TrkB and MAPK signal pathways were found in LC of RA mice. The components of NLRP3 inflammasome were all increased and consequently enhanced the production of pro-inflammatory cytokine interleukin (IL)-1β. Upon ANA-12 treatment, glial cell activation was reduced, BDNF/TrkB and MAPK pathways were suppressed, and the expression levels of the above-mentioned proteins were reduced. Finally, U251 cells were conducted to further confirm the regulatory mechanisms of ANA-12 on inflammation. The results showed the colocalization of BDNF/NLRP3/IL-1β and GFAP. ANA-12 treatment decreased the protein levels of BDNF, TrkB, MAPK, NLRP3, and caspase-1 in IL-1β-induced cells. Besides, ANA-12 treatment decreased NLRC4 and AIM2 inflammasomes both in RA mice and IL-1β-induced cells. These results suggested that ANA-12 alleviates hyperalgesia in RA mice by inhibiting BDNF/TrkB signaling in LC, thereby reducing glial cell activation and inflammatory cytokine release.

求助全文
通过发布文献求助,成功后即可免费获取论文全文。 去求助
来源期刊
Neurochemical Research
Neurochemical Research 医学-神经科学
CiteScore
7.70
自引率
2.30%
发文量
320
审稿时长
6 months
期刊介绍: Neurochemical Research is devoted to the rapid publication of studies that use neurochemical methodology in research on nervous system structure and function. The journal publishes original reports of experimental and clinical research results, perceptive reviews of significant problem areas in the neurosciences, brief comments of a methodological or interpretive nature, and research summaries conducted by leading scientists whose works are not readily available in English.
×
引用
GB/T 7714-2015
复制
MLA
复制
APA
复制
导出至
BibTeX EndNote RefMan NoteFirst NoteExpress
×
提示
您的信息不完整,为了账户安全,请先补充。
现在去补充
×
提示
您因"违规操作"
具体请查看互助需知
我知道了
×
提示
确定
请完成安全验证×
copy
已复制链接
快去分享给好友吧!
我知道了
右上角分享
点击右上角分享
0
联系我们:info@booksci.cn Book学术提供免费学术资源搜索服务,方便国内外学者检索中英文文献。致力于提供最便捷和优质的服务体验。 Copyright © 2023 布克学术 All rights reserved.
京ICP备2023020795号-1
ghs 京公网安备 11010802042870号
Book学术文献互助
Book学术文献互助群
群 号:604180095
Book学术官方微信