严重低血糖诱发的小胶质细胞炎症会损害微血管内皮细胞,导致视网膜破坏。

IF 3
Yuxin Hu, Zhen Li, Hongxue Li, Qian Xu, Chengye Xu, Wenjian Lin, Xuefei Ma, Ming Hao, Hongyu Kuang
{"title":"严重低血糖诱发的小胶质细胞炎症会损害微血管内皮细胞,导致视网膜破坏。","authors":"Yuxin Hu, Zhen Li, Hongxue Li, Qian Xu, Chengye Xu, Wenjian Lin, Xuefei Ma, Ming Hao, Hongyu Kuang","doi":"10.1177/14791641241278506","DOIUrl":null,"url":null,"abstract":"<p><p>Human microglia (HMC) are stress-induced inflammatory cells of the retina. It is unknown whether severe hypoglycaemia causes inflammation in microglia, affects the permeability of human retinal microvascular endothelial cells (HRMECs), and causes retinal damage. This study aimed to explore the effects of severe hypoglycaemia on retinal microglial inflammation and endothelial cell permeability and evaluate the damage caused by hypoglycaemia to the retina. The CCK-8 assay was used to measure cell viability. Western blotting was used to detect IL-1β, IL-6, TNF- α, claudin-1, and occludin expression. ELISA was used to detect IL-1β, IL-6, and TNF- α. Transmission electron microscopy (TEM) and haematoxylin and eosin staining were used to observe the retinal structure. Immunohistochemistry and immunofluorescence staining assays were also used to detect IL-1β, IL-6, TNF- α, claudin-1, and occludin expression. Severe hypoglycaemia promoted inflammation in HMC3 cells. Inflammation caused by hypoglycaemia leads to the decreased expression of tight junction proteins. In vivo, severe hypoglycaemia induced structural damage to the retina, increased the expression of inflammatory factors, and decreased the expression of tight junction proteins. Our results suggest that severe hypoglycaemia leads to acute retinal inflammation, affecting the permeability of HRMECs and causing retinal damage.</p>","PeriodicalId":93978,"journal":{"name":"Diabetes & vascular disease research","volume":"21 4","pages":"14791641241278506"},"PeriodicalIF":3.0000,"publicationDate":"2024-07-01","publicationTypes":"Journal Article","fieldsOfStudy":null,"isOpenAccess":false,"openAccessPdf":"https://www.ncbi.nlm.nih.gov/pmc/articles/PMC11348349/pdf/","citationCount":"0","resultStr":"{\"title\":\"Severe hypoglycaemia-induced microglial inflammation damages microvascular endothelial cells, leading to retinal destruction.\",\"authors\":\"Yuxin Hu, Zhen Li, Hongxue Li, Qian Xu, Chengye Xu, Wenjian Lin, Xuefei Ma, Ming Hao, Hongyu Kuang\",\"doi\":\"10.1177/14791641241278506\",\"DOIUrl\":null,\"url\":null,\"abstract\":\"<p><p>Human microglia (HMC) are stress-induced inflammatory cells of the retina. It is unknown whether severe hypoglycaemia causes inflammation in microglia, affects the permeability of human retinal microvascular endothelial cells (HRMECs), and causes retinal damage. This study aimed to explore the effects of severe hypoglycaemia on retinal microglial inflammation and endothelial cell permeability and evaluate the damage caused by hypoglycaemia to the retina. The CCK-8 assay was used to measure cell viability. Western blotting was used to detect IL-1β, IL-6, TNF- α, claudin-1, and occludin expression. ELISA was used to detect IL-1β, IL-6, and TNF- α. Transmission electron microscopy (TEM) and haematoxylin and eosin staining were used to observe the retinal structure. Immunohistochemistry and immunofluorescence staining assays were also used to detect IL-1β, IL-6, TNF- α, claudin-1, and occludin expression. Severe hypoglycaemia promoted inflammation in HMC3 cells. Inflammation caused by hypoglycaemia leads to the decreased expression of tight junction proteins. In vivo, severe hypoglycaemia induced structural damage to the retina, increased the expression of inflammatory factors, and decreased the expression of tight junction proteins. Our results suggest that severe hypoglycaemia leads to acute retinal inflammation, affecting the permeability of HRMECs and causing retinal damage.</p>\",\"PeriodicalId\":93978,\"journal\":{\"name\":\"Diabetes & vascular disease research\",\"volume\":\"21 4\",\"pages\":\"14791641241278506\"},\"PeriodicalIF\":3.0000,\"publicationDate\":\"2024-07-01\",\"publicationTypes\":\"Journal Article\",\"fieldsOfStudy\":null,\"isOpenAccess\":false,\"openAccessPdf\":\"https://www.ncbi.nlm.nih.gov/pmc/articles/PMC11348349/pdf/\",\"citationCount\":\"0\",\"resultStr\":null,\"platform\":\"Semanticscholar\",\"paperid\":null,\"PeriodicalName\":\"Diabetes & vascular disease research\",\"FirstCategoryId\":\"1085\",\"ListUrlMain\":\"https://doi.org/10.1177/14791641241278506\",\"RegionNum\":0,\"RegionCategory\":null,\"ArticlePicture\":[],\"TitleCN\":null,\"AbstractTextCN\":null,\"PMCID\":null,\"EPubDate\":\"\",\"PubModel\":\"\",\"JCR\":\"\",\"JCRName\":\"\",\"Score\":null,\"Total\":0}","platform":"Semanticscholar","paperid":null,"PeriodicalName":"Diabetes & vascular disease research","FirstCategoryId":"1085","ListUrlMain":"https://doi.org/10.1177/14791641241278506","RegionNum":0,"RegionCategory":null,"ArticlePicture":[],"TitleCN":null,"AbstractTextCN":null,"PMCID":null,"EPubDate":"","PubModel":"","JCR":"","JCRName":"","Score":null,"Total":0}
引用次数: 0

摘要

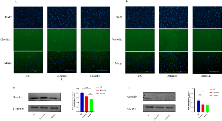
人类小胶质细胞(HMC)是视网膜上由应激引起的炎症细胞。严重低血糖是否会导致小胶质细胞炎症、影响人视网膜微血管内皮细胞(HRMECs)的通透性并造成视网膜损伤,目前尚不清楚。本研究旨在探讨严重低血糖症对视网膜小胶质细胞炎症和内皮细胞通透性的影响,并评估低血糖症对视网膜造成的损伤。CCK-8试验用于测量细胞活力。用 Western 印迹法检测 IL-1β、IL-6、TNF- α、claudin-1 和 occludin 的表达。用 ELISA 检测 IL-1β、IL-6 和 TNF- α,用透射电子显微镜(TEM)和血涂片及伊红染色观察视网膜结构。免疫组织化学和免疫荧光染色检测了IL-1β、IL-6、TNF- α、claudin-1和occludin的表达。严重低血糖症促进了 HMC3 细胞的炎症反应。低血糖引起的炎症会导致紧密连接蛋白的表达减少。在体内,严重低血糖会诱发视网膜结构损伤,增加炎症因子的表达,并降低紧密连接蛋白的表达。我们的研究结果表明,严重低血糖会导致急性视网膜炎症,影响 HRMECs 的通透性并造成视网膜损伤。
本文章由计算机程序翻译,如有差异,请以英文原文为准。

Severe hypoglycaemia-induced microglial inflammation damages microvascular endothelial cells, leading to retinal destruction.

Severe hypoglycaemia-induced microglial inflammation damages microvascular endothelial cells, leading to retinal destruction.

Severe hypoglycaemia-induced microglial inflammation damages microvascular endothelial cells, leading to retinal destruction.

Severe hypoglycaemia-induced microglial inflammation damages microvascular endothelial cells, leading to retinal destruction.

Human microglia (HMC) are stress-induced inflammatory cells of the retina. It is unknown whether severe hypoglycaemia causes inflammation in microglia, affects the permeability of human retinal microvascular endothelial cells (HRMECs), and causes retinal damage. This study aimed to explore the effects of severe hypoglycaemia on retinal microglial inflammation and endothelial cell permeability and evaluate the damage caused by hypoglycaemia to the retina. The CCK-8 assay was used to measure cell viability. Western blotting was used to detect IL-1β, IL-6, TNF- α, claudin-1, and occludin expression. ELISA was used to detect IL-1β, IL-6, and TNF- α. Transmission electron microscopy (TEM) and haematoxylin and eosin staining were used to observe the retinal structure. Immunohistochemistry and immunofluorescence staining assays were also used to detect IL-1β, IL-6, TNF- α, claudin-1, and occludin expression. Severe hypoglycaemia promoted inflammation in HMC3 cells. Inflammation caused by hypoglycaemia leads to the decreased expression of tight junction proteins. In vivo, severe hypoglycaemia induced structural damage to the retina, increased the expression of inflammatory factors, and decreased the expression of tight junction proteins. Our results suggest that severe hypoglycaemia leads to acute retinal inflammation, affecting the permeability of HRMECs and causing retinal damage.

求助全文
通过发布文献求助,成功后即可免费获取论文全文。 去求助
来源期刊
自引率
0.00%
发文量
0
×
引用
GB/T 7714-2015
复制
MLA
复制
APA
复制
导出至
BibTeX EndNote RefMan NoteFirst NoteExpress
×
提示
您的信息不完整,为了账户安全,请先补充。
现在去补充
×
提示
您因"违规操作"
具体请查看互助需知
我知道了
×
提示
确定
请完成安全验证×
copy
已复制链接
快去分享给好友吧!
我知道了
右上角分享
点击右上角分享
0
联系我们:info@booksci.cn Book学术提供免费学术资源搜索服务,方便国内外学者检索中英文文献。致力于提供最便捷和优质的服务体验。 Copyright © 2023 布克学术 All rights reserved.
京ICP备2023020795号-1
ghs 京公网安备 11010802042870号
Book学术文献互助
Book学术文献互助群
群 号:604180095
Book学术官方微信