Efficacy and safety of Bio 3D conduits composed of human umbilical cord-derived mesenchymal stromal cells: A proof-of-concept study in a canine ulnar nerve defect model.

IF 3.2 4区 医学 Q3 CELL & TISSUE ENGINEERING
Cell Transplantation Pub Date : 2025-01-01 Epub Date: 2025-08-03 DOI:10.1177/09636897251361711
Kazuaki Fujita, Ryosuke Ikeguchi, Tomoki Aoyama, Takashi Noguchi, Koichi Yoshimoto, Daichi Sakamoto, Terunobu Iwai, Tetsuya Miyamoto, Yudai Miyazaki, Shizuka Akieda, Tokiko Nagamura-Inoue, Fumitaka Nagamura, Koichi Nakayama, Shuichi Matsuda
{"title":"Efficacy and safety of Bio 3D conduits composed of human umbilical cord-derived mesenchymal stromal cells: A proof-of-concept study in a canine ulnar nerve defect model.","authors":"Kazuaki Fujita, Ryosuke Ikeguchi, Tomoki Aoyama, Takashi Noguchi, Koichi Yoshimoto, Daichi Sakamoto, Terunobu Iwai, Tetsuya Miyamoto, Yudai Miyazaki, Shizuka Akieda, Tokiko Nagamura-Inoue, Fumitaka Nagamura, Koichi Nakayama, Shuichi Matsuda","doi":"10.1177/09636897251361711","DOIUrl":null,"url":null,"abstract":"<p><p>Peripheral nerve injuries involving nerve defects remain challenging to treat. Although autologous nerve grafting is considered the gold standard, it has notable limitations, including donor site morbidity. To address this, we developed a scaffold-free Bio 3D conduit composed of human umbilical cord-derived mesenchymal stromal cells (UC-MSCs) using bioprinting technology. In this study, we evaluated its efficacy and safety in a canine ulnar nerve defect model. At 10 weeks postoperatively, the Bio 3D group showed better motor and sensory recovery compared with the allograft group, as demonstrated by the pinprick test, electrophysiological studies, and hypothenar muscle wet weight (0.978 ± 0.100 vs. 0.637 ± 0.151, n = 3). Morphometric analysis revealed greater axonal regeneration, including larger myelinated axon diameters (4.27 ± 0.342 µm vs. 3.69 ± 0.161 µm, n = 3) and thicker myelin sheaths (0.621 ± 0.088 µm vs. 0.497 ± 0.021 µm, n = 3). Immunostaining showed that the number of transplanted UC-MSCs diminished over time, likely after exerting their therapeutic effects. No adverse events, systemic abnormalities, or distant human cell migration was observed. These findings suggest that UC-MSC-derived Bio 3D conduits are a promising alternative for peripheral nerve regeneration, especially for patients wishing to avoid donor nerve harvesting.</p>","PeriodicalId":9721,"journal":{"name":"Cell Transplantation","volume":"34 ","pages":"9636897251361711"},"PeriodicalIF":3.2000,"publicationDate":"2025-01-01","publicationTypes":"Journal Article","fieldsOfStudy":null,"isOpenAccess":false,"openAccessPdf":"https://www.ncbi.nlm.nih.gov/pmc/articles/PMC12322347/pdf/","citationCount":"0","resultStr":null,"platform":"Semanticscholar","paperid":null,"PeriodicalName":"Cell Transplantation","FirstCategoryId":"3","ListUrlMain":"https://doi.org/10.1177/09636897251361711","RegionNum":4,"RegionCategory":"医学","ArticlePicture":[],"TitleCN":null,"AbstractTextCN":null,"PMCID":null,"EPubDate":"2025/8/3 0:00:00","PubModel":"Epub","JCR":"Q3","JCRName":"CELL & TISSUE ENGINEERING","Score":null,"Total":0}
引用次数: 0

Abstract

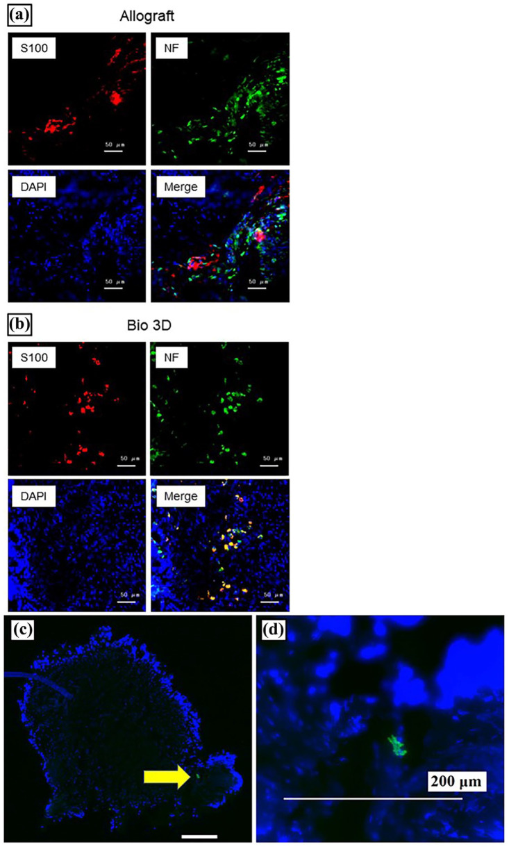
Peripheral nerve injuries involving nerve defects remain challenging to treat. Although autologous nerve grafting is considered the gold standard, it has notable limitations, including donor site morbidity. To address this, we developed a scaffold-free Bio 3D conduit composed of human umbilical cord-derived mesenchymal stromal cells (UC-MSCs) using bioprinting technology. In this study, we evaluated its efficacy and safety in a canine ulnar nerve defect model. At 10 weeks postoperatively, the Bio 3D group showed better motor and sensory recovery compared with the allograft group, as demonstrated by the pinprick test, electrophysiological studies, and hypothenar muscle wet weight (0.978 ± 0.100 vs. 0.637 ± 0.151, n = 3). Morphometric analysis revealed greater axonal regeneration, including larger myelinated axon diameters (4.27 ± 0.342 µm vs. 3.69 ± 0.161 µm, n = 3) and thicker myelin sheaths (0.621 ± 0.088 µm vs. 0.497 ± 0.021 µm, n = 3). Immunostaining showed that the number of transplanted UC-MSCs diminished over time, likely after exerting their therapeutic effects. No adverse events, systemic abnormalities, or distant human cell migration was observed. These findings suggest that UC-MSC-derived Bio 3D conduits are a promising alternative for peripheral nerve regeneration, especially for patients wishing to avoid donor nerve harvesting.

Abstract Image

Abstract Image

Abstract Image

人脐带间充质基质细胞组成的生物三维导管的有效性和安全性:犬尺神经缺损模型的概念验证研究。
周围神经损伤包括神经缺损的治疗仍然具有挑战性。虽然自体神经移植被认为是金标准,但它有明显的局限性,包括供体部位的发病率。为了解决这个问题,我们利用生物打印技术开发了一种由人脐带来源的间充质基质细胞(UC-MSCs)组成的无支架生物3D导管。在本研究中,我们评估了其在犬尺神经缺损模型中的有效性和安全性。术后10周,针刺试验、电生理研究和鱼际下肌肉湿重(0.978±0.100 vs 0.637±0.151,n = 3)显示,Bio 3D组的运动和感觉恢复优于同种异体移植物组。形态计量学分析显示轴突再生更大,包括髓鞘轴突直径更大(4.27±0.342µm vs. 3.69±0.161µm, n = 3)和髓鞘更厚(0.621±0.088µm vs. 0.497±0.021µm, n = 3)。免疫染色显示移植的UC-MSCs数量随着时间的推移而减少,可能是在发挥其治疗作用后。没有观察到不良事件、全身异常或远处的人类细胞迁移。这些发现表明,uc - msc衍生的生物3D导管是周围神经再生的一种有希望的替代方法,特别是对于希望避免供体神经采集的患者。
本文章由计算机程序翻译,如有差异,请以英文原文为准。
求助全文
约1分钟内获得全文 求助全文
来源期刊
Cell Transplantation
Cell Transplantation 生物-细胞与组织工程
CiteScore
6.00
自引率
3.00%
发文量
97
审稿时长
6 months
期刊介绍: Cell Transplantation, The Regenerative Medicine Journal is an open access, peer reviewed journal that is published 12 times annually. Cell Transplantation is a multi-disciplinary forum for publication of articles on cell transplantation and its applications to human diseases. Articles focus on a myriad of topics including the physiological, medical, pre-clinical, tissue engineering, stem cell, and device-oriented aspects of the nervous, endocrine, cardiovascular, and endothelial systems, as well as genetically engineered cells. Cell Transplantation also reports on relevant technological advances, clinical studies, and regulatory considerations related to the implantation of cells into the body in order to provide complete coverage of the field.
×
引用
GB/T 7714-2015
复制
MLA
复制
APA
复制
导出至
BibTeX EndNote RefMan NoteFirst NoteExpress
×
提示
您的信息不完整,为了账户安全,请先补充。
现在去补充
×
提示
您因"违规操作"
具体请查看互助需知
我知道了
×
提示
确定
请完成安全验证×
copy
已复制链接
快去分享给好友吧!
我知道了
右上角分享
点击右上角分享
0
联系我们:info@booksci.cn Book学术提供免费学术资源搜索服务,方便国内外学者检索中英文文献。致力于提供最便捷和优质的服务体验。 Copyright © 2023 布克学术 All rights reserved.
京ICP备2023020795号-1
ghs 京公网安备 11010802042870号
Book学术文献互助
Book学术文献互助群
群 号:604180095
Book学术官方微信