An artificial transcription factor that activates potent interferon-γ expression in human Jurkat T Cells.

Frontiers in molecular medicine Pub Date : 2025-01-08 eCollection Date: 2024-01-01 DOI:10.3389/fmmed.2024.1492370
Ashley King, Davis Noblitt, Olivia Sherron, Clara Kjerfve, Lydia Pless, Nicholas L Truex
{"title":"An artificial transcription factor that activates potent interferon-γ expression in human Jurkat T Cells.","authors":"Ashley King, Davis Noblitt, Olivia Sherron, Clara Kjerfve, Lydia Pless, Nicholas L Truex","doi":"10.3389/fmmed.2024.1492370","DOIUrl":null,"url":null,"abstract":"<p><p>Interferon (IFN)-γ is a central regulator of cell-mediated immunity in human health and disease, but reduced expression of the target receptors impairs signaling activity and leads to immunotherapy resistance. Although intracellular expression of IFN-γ restores the signaling and downstream functions, we lack the tools to activate the <i>IFNG</i> gene instead of cell surface receptors. This paper introduces the design and characterization of an artificial transcription factor (ATF) protein that recognizes the <i>IFNG</i> gene with six zinc finger domains, which are dovetailed to a VP64 signaling domain that promotes gene transcription and translation. Biological studies with human Jurkat T cells reveal that the ATF amplifies <i>IFNG</i> gene transcription and translation, and also stimulates gene transcription for multiple class I and II HLA alleles and interferon-stimulated genes (ISGs). Biophysical characterization showed the recombinant ATF protein recognizes the human <i>IFNG</i> gene with nanomolar affinity (K<sub>D</sub> = 5.27 ± 0.3 nM), adopts a protein secondary structure associated with the ββα-fold of zinc finger domains, and is resistant to thermal denaturation. These studies demonstrate that transcriptional targeting of cytokine genes, rather than surface receptors, activates cytokine expression and shows significant potential for directing immune function.</p>","PeriodicalId":73090,"journal":{"name":"Frontiers in molecular medicine","volume":"4 ","pages":"1492370"},"PeriodicalIF":0.0000,"publicationDate":"2025-01-08","publicationTypes":"Journal Article","fieldsOfStudy":null,"isOpenAccess":false,"openAccessPdf":"https://www.ncbi.nlm.nih.gov/pmc/articles/PMC11751033/pdf/","citationCount":"0","resultStr":null,"platform":"Semanticscholar","paperid":null,"PeriodicalName":"Frontiers in molecular medicine","FirstCategoryId":"1085","ListUrlMain":"https://doi.org/10.3389/fmmed.2024.1492370","RegionNum":0,"RegionCategory":null,"ArticlePicture":[],"TitleCN":null,"AbstractTextCN":null,"PMCID":null,"EPubDate":"2024/1/1 0:00:00","PubModel":"eCollection","JCR":"","JCRName":"","Score":null,"Total":0}
引用次数: 0

Abstract

Interferon (IFN)-γ is a central regulator of cell-mediated immunity in human health and disease, but reduced expression of the target receptors impairs signaling activity and leads to immunotherapy resistance. Although intracellular expression of IFN-γ restores the signaling and downstream functions, we lack the tools to activate the IFNG gene instead of cell surface receptors. This paper introduces the design and characterization of an artificial transcription factor (ATF) protein that recognizes the IFNG gene with six zinc finger domains, which are dovetailed to a VP64 signaling domain that promotes gene transcription and translation. Biological studies with human Jurkat T cells reveal that the ATF amplifies IFNG gene transcription and translation, and also stimulates gene transcription for multiple class I and II HLA alleles and interferon-stimulated genes (ISGs). Biophysical characterization showed the recombinant ATF protein recognizes the human IFNG gene with nanomolar affinity (KD = 5.27 ± 0.3 nM), adopts a protein secondary structure associated with the ββα-fold of zinc finger domains, and is resistant to thermal denaturation. These studies demonstrate that transcriptional targeting of cytokine genes, rather than surface receptors, activates cytokine expression and shows significant potential for directing immune function.

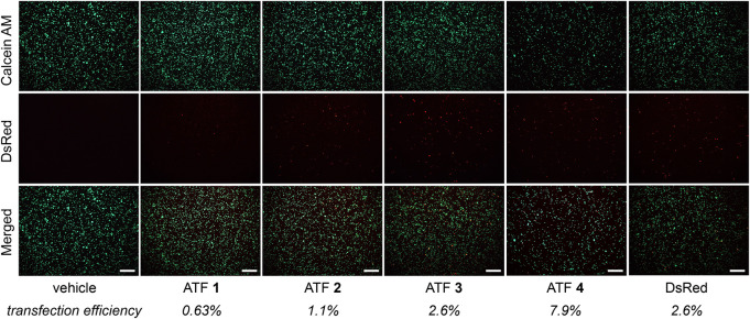
Abstract Image

Abstract Image

Abstract Image

一种在人Jurkat T细胞中激活强效干扰素γ表达的人工转录因子。
干扰素(IFN)-γ是人类健康和疾病中细胞介导免疫的中枢调节因子,但目标受体表达减少会损害信号活性并导致免疫治疗耐药性。虽然细胞内IFN-γ的表达可以恢复信号传导和下游功能,但我们缺乏激活IFNG基因而不是细胞表面受体的工具。本文介绍了一种人工转录因子(ATF)蛋白的设计和表征,该蛋白识别具有6个锌指结构域的IFNG基因,这些结构域与促进基因转录和翻译的VP64信号结构域相匹配。对人类Jurkat T细胞的生物学研究表明,ATF可扩增IFNG基因的转录和翻译,并可刺激多种I类和II类HLA等位基因和干扰素刺激基因(ISGs)的基因转录。生物物理特性分析表明,重组ATF蛋白识别人IFNG基因,具有纳米摩尔亲和力(KD = 5.27±0.3 nM),具有与锌指结构域ββα-折叠相关的蛋白二级结构,耐热变性。这些研究表明,细胞因子基因的转录靶向,而不是表面受体,激活细胞因子表达,并显示出指导免疫功能的重大潜力。
本文章由计算机程序翻译,如有差异,请以英文原文为准。
求助全文
约1分钟内获得全文 求助全文
来源期刊
自引率
0.00%
发文量
0
×
引用
GB/T 7714-2015
复制
MLA
复制
APA
复制
导出至
BibTeX EndNote RefMan NoteFirst NoteExpress
×
提示
您的信息不完整,为了账户安全,请先补充。
现在去补充
×
提示
您因"违规操作"
具体请查看互助需知
我知道了
×
提示
确定
请完成安全验证×
copy
已复制链接
快去分享给好友吧!
我知道了
右上角分享
点击右上角分享
0
联系我们:info@booksci.cn Book学术提供免费学术资源搜索服务,方便国内外学者检索中英文文献。致力于提供最便捷和优质的服务体验。 Copyright © 2023 布克学术 All rights reserved.
京ICP备2023020795号-1
ghs 京公网安备 11010802042870号
Book学术文献互助
Book学术文献互助群
群 号:604180095
Book学术官方微信