Is it the Past or the Present? Employment Quality, Unemployment History, Psychological Distress and Mental Wellbeing in the United Kingdom.

IF 2.6 0 HEALTH CARE SCIENCES & SERVICES
Rebeka Balogh, Deborah De Moortel, Sylvie Gadeyne, Julie Vanderleyden, Chris Warhurst, Christophe Vanroelen
{"title":"Is it the Past or the Present? Employment Quality, Unemployment History, Psychological Distress and Mental Wellbeing in the United Kingdom.","authors":"Rebeka Balogh, Deborah De Moortel, Sylvie Gadeyne, Julie Vanderleyden, Chris Warhurst, Christophe Vanroelen","doi":"10.1177/27551938241288788","DOIUrl":null,"url":null,"abstract":"<p><p>Low employment quality and precarious employment have been associated with adverse mental health outcomes, yet the extent to which this association may be explained by the experience of unemployment \"scarring\" has not yet been explored. From a life course perspective, understanding this possible confounding is necessary. Drawing on the United Kingdom's Understanding Society dataset and using latent class analysis, we derived a typology of employment quality across six dimensions and assessed the links between individuals' employment quality, unemployment history, and mental well-being and psychological distress. Our results show that precarious types of employment as well as a higher quality \"protected part-time\" were linked to low mental well-being, though important gender differences were noted. Accounting for past unemployment did not fully explain these associations. No such adverse associations were observed for increased psychological distress. Our results help further the understanding of employment quality as a social determinant of health and highlight the need for both life course and gender-sensitive research in this area.</p>","PeriodicalId":73479,"journal":{"name":"International journal of social determinants of health and health services","volume":" ","pages":"289-302"},"PeriodicalIF":2.6000,"publicationDate":"2025-07-01","publicationTypes":"Journal Article","fieldsOfStudy":null,"isOpenAccess":false,"openAccessPdf":"https://www.ncbi.nlm.nih.gov/pmc/articles/PMC12171024/pdf/","citationCount":"0","resultStr":null,"platform":"Semanticscholar","paperid":null,"PeriodicalName":"International journal of social determinants of health and health services","FirstCategoryId":"1085","ListUrlMain":"https://doi.org/10.1177/27551938241288788","RegionNum":0,"RegionCategory":null,"ArticlePicture":[],"TitleCN":null,"AbstractTextCN":null,"PMCID":null,"EPubDate":"2024/10/22 0:00:00","PubModel":"Epub","JCR":"0","JCRName":"HEALTH CARE SCIENCES & SERVICES","Score":null,"Total":0}
引用次数: 0

Abstract

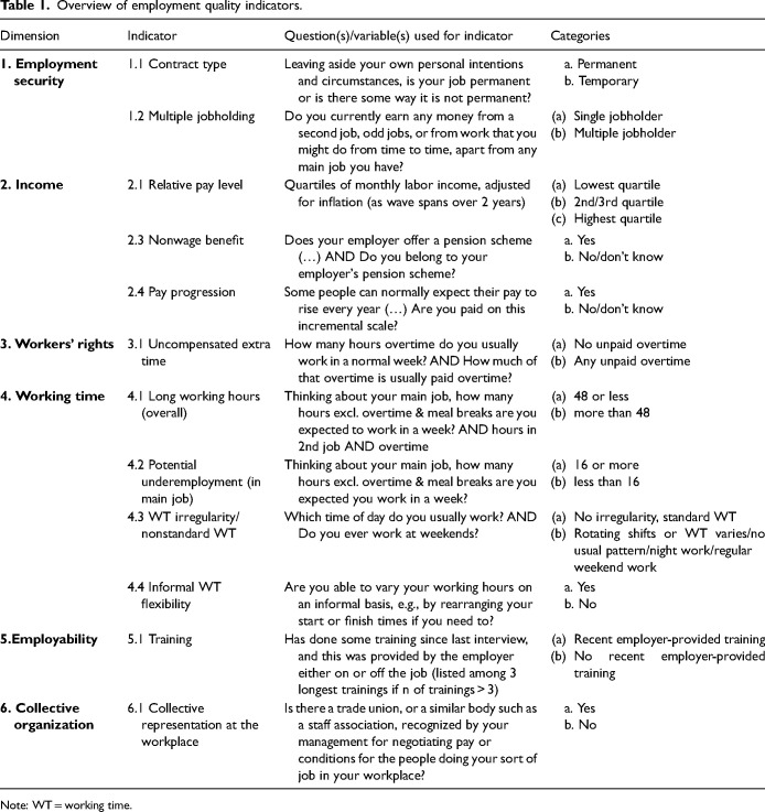
Low employment quality and precarious employment have been associated with adverse mental health outcomes, yet the extent to which this association may be explained by the experience of unemployment "scarring" has not yet been explored. From a life course perspective, understanding this possible confounding is necessary. Drawing on the United Kingdom's Understanding Society dataset and using latent class analysis, we derived a typology of employment quality across six dimensions and assessed the links between individuals' employment quality, unemployment history, and mental well-being and psychological distress. Our results show that precarious types of employment as well as a higher quality "protected part-time" were linked to low mental well-being, though important gender differences were noted. Accounting for past unemployment did not fully explain these associations. No such adverse associations were observed for increased psychological distress. Our results help further the understanding of employment quality as a social determinant of health and highlight the need for both life course and gender-sensitive research in this area.

Abstract Image

Abstract Image

Abstract Image

是过去还是现在?英国的就业质量、失业历史、心理困扰和精神健康。
低就业质量和不稳定就业与不良心理健康结果有关,但这种关联在多大程度上可以用失业 "伤痕 "经历来解释,目前尚未进行探讨。从生命历程的角度来看,有必要了解这种可能的混杂因素。我们借鉴了英国的 "理解社会 "数据集,利用潜类分析法,从六个维度对就业质量进行了分类,并评估了个人就业质量、失业史与精神健康和心理困扰之间的联系。我们的研究结果表明,不稳定的就业类型以及质量较高的 "受保护的兼职 "与低精神幸福感有关,但也发现了重要的性别差异。考虑过去的失业经历并不能完全解释这些关联。在心理压力增加方面,没有观察到这种不利的关联。我们的研究结果有助于进一步了解就业质量是健康的社会决定因素,并强调了在这一领域开展生命历程和性别敏感性研究的必要性。
本文章由计算机程序翻译,如有差异,请以英文原文为准。
求助全文
约1分钟内获得全文 求助全文
来源期刊
CiteScore
6.40
自引率
0.00%
发文量
0
×
引用
GB/T 7714-2015
复制
MLA
复制
APA
复制
导出至
BibTeX EndNote RefMan NoteFirst NoteExpress
×
提示
您的信息不完整,为了账户安全,请先补充。
现在去补充
×
提示
您因"违规操作"
具体请查看互助需知
我知道了
×
提示
确定
请完成安全验证×
copy
已复制链接
快去分享给好友吧!
我知道了
右上角分享
点击右上角分享
0
联系我们:info@booksci.cn Book学术提供免费学术资源搜索服务,方便国内外学者检索中英文文献。致力于提供最便捷和优质的服务体验。 Copyright © 2023 布克学术 All rights reserved.
京ICP备2023020795号-1
ghs 京公网安备 11010802042870号
Book学术文献互助
Book学术文献互助群
群 号:604180095
Book学术官方微信