二甲双胍和/或抗坏血酸,治疗黄褐斑的新治疗选择的毒性作用的体外和体内比较评价。

IF 2.1 4区 医学 Q3 TOXICOLOGY
Toxicology Research Pub Date : 2025-02-27 eCollection Date: 2025-02-01 DOI:10.1093/toxres/tfaf025
Hülya Tezel Yalçın, Deniz Arca Çakır, Anıl Yirün, Sonia Sanajou, Gözde Işık, Özlem Bozdemir, İbrahim Özçelik, Merve Güdül Bacanlı, Naciye Dilara Zeybek, Terken Baydar, Pınar Erkekoğlu
{"title":"二甲双胍和/或抗坏血酸,治疗黄褐斑的新治疗选择的毒性作用的体外和体内比较评价。","authors":"Hülya Tezel Yalçın, Deniz Arca Çakır, Anıl Yirün, Sonia Sanajou, Gözde Işık, Özlem Bozdemir, İbrahim Özçelik, Merve Güdül Bacanlı, Naciye Dilara Zeybek, Terken Baydar, Pınar Erkekoğlu","doi":"10.1093/toxres/tfaf025","DOIUrl":null,"url":null,"abstract":"<p><p>Melasma is a chronic condition that leads to the buildup of melanin pigment in the epidermis and dermis due to active melanocytes. Even though it is considered a non-life-threatening condition, pigment disorders have a negative impact on quality of life. Since melasma treatment is not sufficient and complicated, new treatment options are sought. Research on metformin and ascorbic acid suggested that they might be used against melasma in the scope of \"drug repositioning.\"The MNT-1 human melanoma cell line was used to assess the effects of metformin, ascorbic acid, and metformin+ascorbic acid combination on cytotoxicity and oxidative stress. Melanin, cAMP, L-3,4-dihydroxyphenylalanine (L-DOPA) and tyrosinase levels were determined by commercial ELISA kits and tyrosinase gene expression was analyzed with RT-qPCR. Cytopathological evaluations were performed by phase contrast microscopy. Tyrosinase expression was determined by immunofluorescence (IF) staining of MNT-1 cells. The online service TargetNet was used for biological target screening. The parameters were not significantly altered by ascorbic acid applied at non-cytotoxic concentrations. On the contrary, metformin dramatically raised tyrosinase and intracellular ROS levels. Moreover, intracellular ROS levels and tyrosinase levels were found to be considerably elevated with the combined treatment. Also, potential metformin and ascorbic acid interactions were determined. According to the results, it can be said that these parameters were not significantly altered by ascorbic acid. On the contrary, metformin dramatically raised tyrosinase and intracellular oxidative stress levels. Moreover, intracellular oxidative stress and tyrosinase levels were elevated with the combined treatment. In conclusion, individual treatments of ascorbic acid or metformin may only provide a limited effect when treating melasma and extensive in vitro and in vivo research are required.</p>","PeriodicalId":105,"journal":{"name":"Toxicology Research","volume":"14 1","pages":"tfaf025"},"PeriodicalIF":2.1000,"publicationDate":"2025-02-27","publicationTypes":"Journal Article","fieldsOfStudy":null,"isOpenAccess":false,"openAccessPdf":"https://www.ncbi.nlm.nih.gov/pmc/articles/PMC11878769/pdf/","citationCount":"0","resultStr":"{\"title\":\"Comparative in vitro and in silico evaluation of the toxic effects of metformin and/or ascorbic acid, new treatment options in the treatment of Melasma.\",\"authors\":\"Hülya Tezel Yalçın, Deniz Arca Çakır, Anıl Yirün, Sonia Sanajou, Gözde Işık, Özlem Bozdemir, İbrahim Özçelik, Merve Güdül Bacanlı, Naciye Dilara Zeybek, Terken Baydar, Pınar Erkekoğlu\",\"doi\":\"10.1093/toxres/tfaf025\",\"DOIUrl\":null,\"url\":null,\"abstract\":\"<p><p>Melasma is a chronic condition that leads to the buildup of melanin pigment in the epidermis and dermis due to active melanocytes. Even though it is considered a non-life-threatening condition, pigment disorders have a negative impact on quality of life. Since melasma treatment is not sufficient and complicated, new treatment options are sought. Research on metformin and ascorbic acid suggested that they might be used against melasma in the scope of \\\"drug repositioning.\\\"The MNT-1 human melanoma cell line was used to assess the effects of metformin, ascorbic acid, and metformin+ascorbic acid combination on cytotoxicity and oxidative stress. Melanin, cAMP, L-3,4-dihydroxyphenylalanine (L-DOPA) and tyrosinase levels were determined by commercial ELISA kits and tyrosinase gene expression was analyzed with RT-qPCR. Cytopathological evaluations were performed by phase contrast microscopy. Tyrosinase expression was determined by immunofluorescence (IF) staining of MNT-1 cells. The online service TargetNet was used for biological target screening. The parameters were not significantly altered by ascorbic acid applied at non-cytotoxic concentrations. On the contrary, metformin dramatically raised tyrosinase and intracellular ROS levels. Moreover, intracellular ROS levels and tyrosinase levels were found to be considerably elevated with the combined treatment. Also, potential metformin and ascorbic acid interactions were determined. According to the results, it can be said that these parameters were not significantly altered by ascorbic acid. On the contrary, metformin dramatically raised tyrosinase and intracellular oxidative stress levels. Moreover, intracellular oxidative stress and tyrosinase levels were elevated with the combined treatment. In conclusion, individual treatments of ascorbic acid or metformin may only provide a limited effect when treating melasma and extensive in vitro and in vivo research are required.</p>\",\"PeriodicalId\":105,\"journal\":{\"name\":\"Toxicology Research\",\"volume\":\"14 1\",\"pages\":\"tfaf025\"},\"PeriodicalIF\":2.1000,\"publicationDate\":\"2025-02-27\",\"publicationTypes\":\"Journal Article\",\"fieldsOfStudy\":null,\"isOpenAccess\":false,\"openAccessPdf\":\"https://www.ncbi.nlm.nih.gov/pmc/articles/PMC11878769/pdf/\",\"citationCount\":\"0\",\"resultStr\":null,\"platform\":\"Semanticscholar\",\"paperid\":null,\"PeriodicalName\":\"Toxicology Research\",\"FirstCategoryId\":\"3\",\"ListUrlMain\":\"https://doi.org/10.1093/toxres/tfaf025\",\"RegionNum\":4,\"RegionCategory\":\"医学\",\"ArticlePicture\":[],\"TitleCN\":null,\"AbstractTextCN\":null,\"PMCID\":null,\"EPubDate\":\"2025/2/1 0:00:00\",\"PubModel\":\"eCollection\",\"JCR\":\"Q3\",\"JCRName\":\"TOXICOLOGY\",\"Score\":null,\"Total\":0}","platform":"Semanticscholar","paperid":null,"PeriodicalName":"Toxicology Research","FirstCategoryId":"3","ListUrlMain":"https://doi.org/10.1093/toxres/tfaf025","RegionNum":4,"RegionCategory":"医学","ArticlePicture":[],"TitleCN":null,"AbstractTextCN":null,"PMCID":null,"EPubDate":"2025/2/1 0:00:00","PubModel":"eCollection","JCR":"Q3","JCRName":"TOXICOLOGY","Score":null,"Total":0}
引用次数: 0

摘要

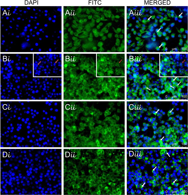
黄褐斑是一种慢性疾病,由于黑色素细胞活跃,导致表皮和真皮中黑色素的积累。尽管它被认为是一种不会危及生命的疾病,但色素紊乱会对生活质量产生负面影响。由于黄褐斑治疗不充分和复杂,寻求新的治疗方案。二甲双胍和抗坏血酸的研究表明,它们可能在“药物重新定位”的范围内用于治疗黄褐斑。使用MNT-1人黑色素瘤细胞系评估二甲双胍、抗坏血酸和二甲双胍+抗坏血酸组合对细胞毒性和氧化应激的影响。采用商用ELISA试剂盒检测黑色素、cAMP、l -3,4-二羟基苯丙氨酸(L-DOPA)和酪氨酸酶水平,RT-qPCR检测酪氨酸酶基因表达。通过相衬显微镜进行细胞病理学评估。免疫荧光(IF)染色检测MNT-1细胞酪氨酸酶表达。在线服务TargetNet用于生物靶点筛选。抗坏血酸在非细胞毒性浓度下应用时,这些参数没有显著改变。相反,二甲双胍显著提高酪氨酸酶和细胞内ROS水平。此外,发现细胞内ROS水平和酪氨酸酶水平在联合处理下显着升高。此外,还确定了二甲双胍和抗坏血酸的潜在相互作用。结果表明,抗坏血酸对这些参数的影响不明显。相反,二甲双胍显著提高酪氨酸酶和细胞内氧化应激水平。此外,联合治疗提高了细胞内氧化应激和酪氨酸酶水平。总之,抗坏血酸或二甲双胍的单独治疗在治疗黄褐斑时可能只提供有限的效果,需要进行广泛的体外和体内研究。
本文章由计算机程序翻译,如有差异,请以英文原文为准。

Comparative in vitro and in silico evaluation of the toxic effects of metformin and/or ascorbic acid, new treatment options in the treatment of Melasma.

Comparative in vitro and in silico evaluation of the toxic effects of metformin and/or ascorbic acid, new treatment options in the treatment of Melasma.

Comparative in vitro and in silico evaluation of the toxic effects of metformin and/or ascorbic acid, new treatment options in the treatment of Melasma.

Comparative in vitro and in silico evaluation of the toxic effects of metformin and/or ascorbic acid, new treatment options in the treatment of Melasma.

Melasma is a chronic condition that leads to the buildup of melanin pigment in the epidermis and dermis due to active melanocytes. Even though it is considered a non-life-threatening condition, pigment disorders have a negative impact on quality of life. Since melasma treatment is not sufficient and complicated, new treatment options are sought. Research on metformin and ascorbic acid suggested that they might be used against melasma in the scope of "drug repositioning."The MNT-1 human melanoma cell line was used to assess the effects of metformin, ascorbic acid, and metformin+ascorbic acid combination on cytotoxicity and oxidative stress. Melanin, cAMP, L-3,4-dihydroxyphenylalanine (L-DOPA) and tyrosinase levels were determined by commercial ELISA kits and tyrosinase gene expression was analyzed with RT-qPCR. Cytopathological evaluations were performed by phase contrast microscopy. Tyrosinase expression was determined by immunofluorescence (IF) staining of MNT-1 cells. The online service TargetNet was used for biological target screening. The parameters were not significantly altered by ascorbic acid applied at non-cytotoxic concentrations. On the contrary, metformin dramatically raised tyrosinase and intracellular ROS levels. Moreover, intracellular ROS levels and tyrosinase levels were found to be considerably elevated with the combined treatment. Also, potential metformin and ascorbic acid interactions were determined. According to the results, it can be said that these parameters were not significantly altered by ascorbic acid. On the contrary, metformin dramatically raised tyrosinase and intracellular oxidative stress levels. Moreover, intracellular oxidative stress and tyrosinase levels were elevated with the combined treatment. In conclusion, individual treatments of ascorbic acid or metformin may only provide a limited effect when treating melasma and extensive in vitro and in vivo research are required.

求助全文
通过发布文献求助,成功后即可免费获取论文全文。 去求助
来源期刊
Toxicology Research
Toxicology Research TOXICOLOGY-
CiteScore
3.60
自引率
0.00%
发文量
82
期刊介绍: A multi-disciplinary journal covering the best research in both fundamental and applied aspects of toxicology
×
引用
GB/T 7714-2015
复制
MLA
复制
APA
复制
导出至
BibTeX EndNote RefMan NoteFirst NoteExpress
×
提示
您的信息不完整,为了账户安全,请先补充。
现在去补充
×
提示
您因"违规操作"
具体请查看互助需知
我知道了
×
提示
确定
请完成安全验证×
copy
已复制链接
快去分享给好友吧!
我知道了
右上角分享
点击右上角分享
0
联系我们:info@booksci.cn Book学术提供免费学术资源搜索服务,方便国内外学者检索中英文文献。致力于提供最便捷和优质的服务体验。 Copyright © 2023 布克学术 All rights reserved.
京ICP备2023020795号-1
ghs 京公网安备 11010802042870号
Book学术文献互助
Book学术文献互助群
群 号:604180095
Book学术官方微信