Chagas disease in Trinidad and Tobago - a call to action.

IF 1.5 4区 医学 Q3 PUBLIC, ENVIRONMENTAL & OCCUPATIONAL HEALTH
Rod Suepaul, Azad Mohammed, Nicole L Gottdenker, Christopher Oura, Adesh Ramsubhag, Vrijesh Tripathi, Raveed Khan, Jennifer K Peterson
{"title":"Chagas disease in Trinidad and Tobago - a call to action.","authors":"Rod Suepaul, Azad Mohammed, Nicole L Gottdenker, Christopher Oura, Adesh Ramsubhag, Vrijesh Tripathi, Raveed Khan, Jennifer K Peterson","doi":"10.1093/trstmh/traf060","DOIUrl":null,"url":null,"abstract":"<p><p>Chagas disease, caused by the protozoan parasite Trypanosoma cruzi, is a vector-borne disease that can lead to serious cardiac alterations. The Caribbean nation of Trinidad and Tobago (TT) is not considered Chagas endemic by major public health organizations, but Trinidad is home to six T. cruzi vector species as well as T. cruzi-infected vertebrate hosts, including humans. Here we present the most comprehensive assessment to date of Chagas disease in TT based on information from published literature, museum specimens, hospital and veterinary records and archival documents. Panstrongylus geniculatus is the most abundant and well-studied T. cruzi vector species in TT, where it is found in and around human homes with human blood meals and with T. cruzi infection prevalences >83%. Wildlife reservoirs of T. cruzi in TT include commonly hunted species, which may pose a risk of T. cruzi transmission during preparation or consumption of infected carcasses. Blood bank data from 2020 showed a 0.5% seropositivity rate for T. cruzi, which is higher than that reported for 13 Chagas-endemic countries. By presenting the entomological, ecological, epidemiological and clinical evidence in a single report, we aim to present what is known about Chagas disease on the island, identify knowledge gaps and pinpoint areas of future research and public health focus, with the goal of sending a call to action for increased attention to Chagas disease in TT.</p>","PeriodicalId":23218,"journal":{"name":"Transactions of The Royal Society of Tropical Medicine and Hygiene","volume":" ","pages":"999-1015"},"PeriodicalIF":1.5000,"publicationDate":"2025-09-02","publicationTypes":"Journal Article","fieldsOfStudy":null,"isOpenAccess":false,"openAccessPdf":"https://www.ncbi.nlm.nih.gov/pmc/articles/PMC12403213/pdf/","citationCount":"0","resultStr":null,"platform":"Semanticscholar","paperid":null,"PeriodicalName":"Transactions of The Royal Society of Tropical Medicine and Hygiene","FirstCategoryId":"3","ListUrlMain":"https://doi.org/10.1093/trstmh/traf060","RegionNum":4,"RegionCategory":"医学","ArticlePicture":[],"TitleCN":null,"AbstractTextCN":null,"PMCID":null,"EPubDate":"","PubModel":"","JCR":"Q3","JCRName":"PUBLIC, ENVIRONMENTAL & OCCUPATIONAL HEALTH","Score":null,"Total":0}
引用次数: 0

Abstract

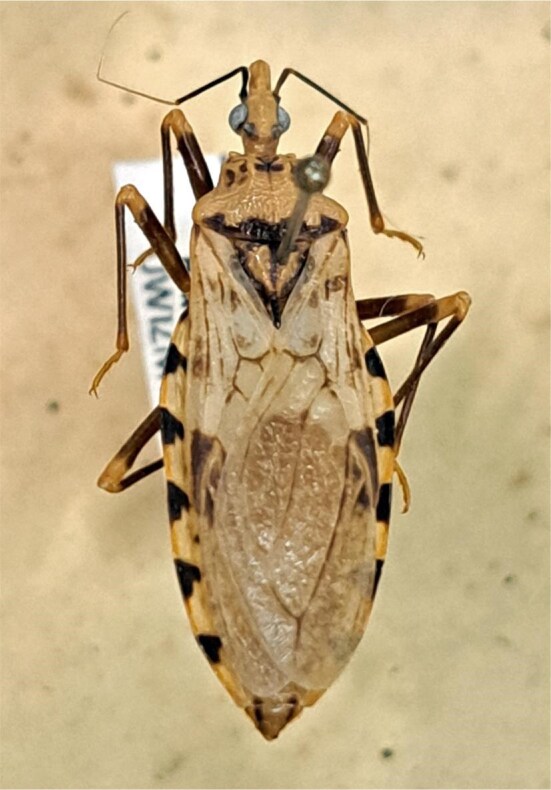
Chagas disease, caused by the protozoan parasite Trypanosoma cruzi, is a vector-borne disease that can lead to serious cardiac alterations. The Caribbean nation of Trinidad and Tobago (TT) is not considered Chagas endemic by major public health organizations, but Trinidad is home to six T. cruzi vector species as well as T. cruzi-infected vertebrate hosts, including humans. Here we present the most comprehensive assessment to date of Chagas disease in TT based on information from published literature, museum specimens, hospital and veterinary records and archival documents. Panstrongylus geniculatus is the most abundant and well-studied T. cruzi vector species in TT, where it is found in and around human homes with human blood meals and with T. cruzi infection prevalences >83%. Wildlife reservoirs of T. cruzi in TT include commonly hunted species, which may pose a risk of T. cruzi transmission during preparation or consumption of infected carcasses. Blood bank data from 2020 showed a 0.5% seropositivity rate for T. cruzi, which is higher than that reported for 13 Chagas-endemic countries. By presenting the entomological, ecological, epidemiological and clinical evidence in a single report, we aim to present what is known about Chagas disease on the island, identify knowledge gaps and pinpoint areas of future research and public health focus, with the goal of sending a call to action for increased attention to Chagas disease in TT.

Abstract Image

Abstract Image

Abstract Image

特立尼达和多巴哥的恰加斯病——行动呼吁。
恰加斯病由原生动物寄生虫克氏锥虫引起,是一种可导致严重心脏病变的媒介传播疾病。加勒比海国家特立尼达和多巴哥(TT)不被主要公共卫生组织认为是恰加斯病的地方病,但特立尼达是6种克鲁兹锥虫病媒介物种以及感染克鲁兹锥虫的脊椎动物宿主(包括人类)的家园。在此,我们根据已发表的文献、博物馆标本、医院和兽医记录以及档案文件提供的信息,提出迄今为止对南美洲南美锥虫病最全面的评估。在TT地区,膝圆形线虫是数量最多、研究最充分的克氏体病媒物种,在有人类血餐的人家中及其周围发现,克氏体感染流行率为83%。在TT中,克氏体的野生宿主包括通常被猎杀的物种,它们可能在准备或食用受感染的尸体期间造成克氏体传播的风险。2020年的血库数据显示,克氏弓形虫血清阳性率为0.5%,高于13个南美锥虫流行国家报告的阳性率。通过在一份报告中介绍昆虫学、生态学、流行病学和临床证据,我们的目标是介绍岛上关于恰加斯病的已知情况,确定知识差距并确定未来研究和公共卫生重点领域,目的是呼吁采取行动,加强对巴布亚新几内亚恰加斯病的关注。
本文章由计算机程序翻译,如有差异,请以英文原文为准。
求助全文
约1分钟内获得全文 求助全文
来源期刊
Transactions of The Royal Society of Tropical Medicine and Hygiene
Transactions of The Royal Society of Tropical Medicine and Hygiene 医学-公共卫生、环境卫生与职业卫生
CiteScore
4.00
自引率
9.10%
发文量
115
审稿时长
4-8 weeks
期刊介绍: Transactions of the Royal Society of Tropical Medicine and Hygiene publishes authoritative and impactful original, peer-reviewed articles and reviews on all aspects of tropical medicine.
×
引用
GB/T 7714-2015
复制
MLA
复制
APA
复制
导出至
BibTeX EndNote RefMan NoteFirst NoteExpress
×
提示
您的信息不完整,为了账户安全,请先补充。
现在去补充
×
提示
您因"违规操作"
具体请查看互助需知
我知道了
×
提示
确定
请完成安全验证×
copy
已复制链接
快去分享给好友吧!
我知道了
右上角分享
点击右上角分享
0
联系我们:info@booksci.cn Book学术提供免费学术资源搜索服务,方便国内外学者检索中英文文献。致力于提供最便捷和优质的服务体验。 Copyright © 2023 布克学术 All rights reserved.
京ICP备2023020795号-1
ghs 京公网安备 11010802042870号
Book学术文献互助
Book学术文献互助群
群 号:604180095
Book学术官方微信